 Vlasak SS MZSP Vicinity Macara, Loja, Ecuador.jpg)
Specimen Type: holotype Sex: m Institution: MZSP Museu de Zoologia da Universidade de São Paulo, Brazil Photographer: Antonio Santos-Silva Collection Location: Vicinity of Macara, Loja, Ecuador 101582
|
 Vlasak SS MZSP Vicinity Macara, Loja, Ecuador.jpg)
Specimen Type: holotype Sex: m Institution: MZSP Museu de Zoologia da Universidade de São Paulo, Brazil Photographer: Antonio Santos-Silva Collection Location: Vicinity of Macara, Loja, Ecuador 101583
|
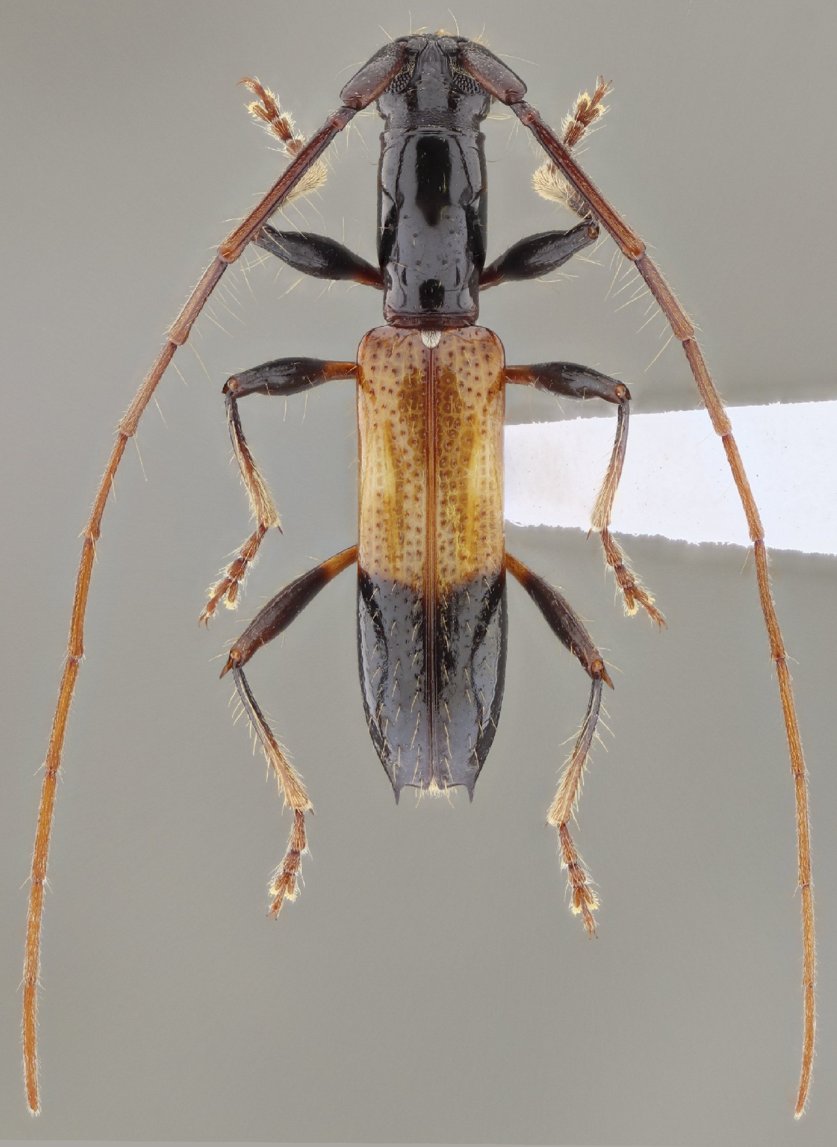
 Vlasak SS MZSP Vicinity Macara, Loja, Ecuador.jpg)
Specimen Type: holotype Sex: m Institution: MZSP Museu de Zoologia da Universidade de São Paulo, Brazil Photographer: Antonio Santos-Silva Collection Location: Vicinity of Macara, Loja, Ecuador 101584
|
 Vlasak SS MZSP Vicinity Macara, Loja, Ecuador.jpg)
Specimen Type: holotype Sex: m Institution: MZSP Museu de Zoologia da Universidade de São Paulo, Brazil Photographer: Antonio Santos-Silva Collection Location: Vicinity of Macara, Loja, Ecuador 101585
|
|