New Search Family, Subfamily and Tribe List

SubFamily Lamiinae

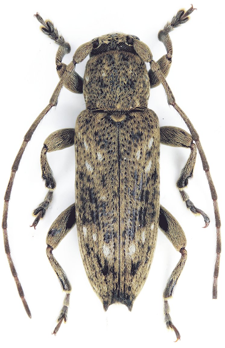
Tribe Apomecynini
Sybra kokutensis Skale & Weigel 2025

Specimen Type: holotype
Sex: m
Institution: Skale Collection
Photographer: Andre Skale
Collection Location: Ko Kut Island, Trat Province, Central Thailand
101467

130425