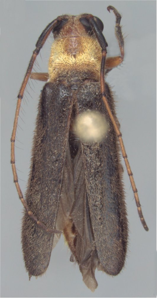
 Silva Junior et al CE-UFPE Serro do Para, Santa Cruz do Capibaribe, Pernambuco, Brazil OSJ.jpg)
Specimen Type: holotype Sex: f Institution: UPFE Coleção Entomológica da Universidade Federal do Pernambuco, Recife, Brazil Photographer: Jose Silva Junior Collection Location: Serro do Para, Santa Cruz do Capibaribe, Pernambuco, Brazil 101368
|
 Silva Junior et al CE-UFPE Serro do Para, Santa Cruz do Capibaribe, Pern, Brazil OSJ.jpg)
Specimen Type: holotype Sex: f Institution: UPFE Coleção Entomológica da Universidade Federal do Pernambuco, Recife, Brazil Photographer: Jose Silva Junior Collection Location: Serro do Para, Santa Cruz do Capibaribe, Pernambuco, Brazil 101369
|
 Silva Junior et al CE-UFPE Serro do Para, Santa Cruz do Capibaribe, Pern, Brazil OSJ.jpg)
Specimen Type: holotype Sex: f Institution: UPFE Coleção Entomológica da Universidade Federal do Pernambuco, Recife, Brazil Photographer: Jose Silva Junior Collection Location: Serro do Para, Santa Cruz do Capibaribe, Pernambuco, Brazil 101370
|
 Silva Junior et al CE-UFPE Serro do Para, Santa Cruz do Capibaribe, Pern, Brazil OSJ.jpg)
Specimen Type: holotype Sex: f Institution: UPFE Coleção Entomológica da Universidade Federal do Pernambuco, Recife, Brazil Photographer: Jose Silva Junior Collection Location: Serro do Para, Santa Cruz do Capibaribe, Pernambuco, Brazil 101371
|
 Silva Junior et al CE-UFPE Serro do Para, Santa Cruz do Capibaribe, Pern, Brazil OSJ.jpg)
Specimen Type: holotype Sex: f Institution: UPFE Coleção Entomológica da Universidade Federal do Pernambuco, Recife, Brazil Photographer: Jose Silva Junior Collection Location: Serro do Para, Santa Cruz do Capibaribe, Pernambuco, Brazil 101372
|
|