 Vlas GN SS MZSP Bella Vista Cloud Forest Lodge, Tandayapa, Pich, Ec SS.jpg)
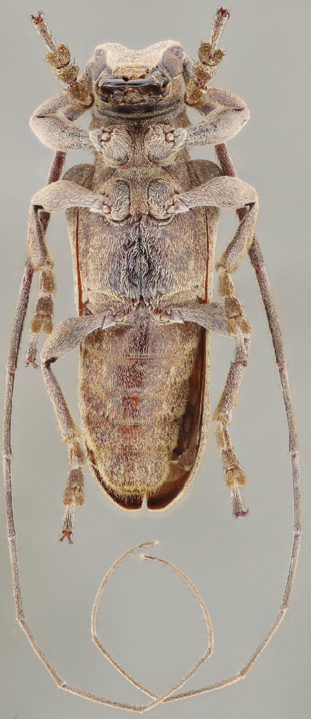
Specimen Type: holotype Sex: m Institution: MZSP Museu de Zoologia da Universidade de São Paulo, Brazil Photographer: Antonio Santos-Silva Collection Location: Bella Vista Cloud Forest Lodge, Tandayapa, Pichincha, Ecuador 100987
|
 Vlas GN SS MZSP Bella Vista Cloud Forest Lodge, Tandayapa, Pich, Ec SS.jpg)
Specimen Type: holotype Sex: m Institution: MZSP Museu de Zoologia da Universidade de São Paulo, Brazil Photographer: Antonio Santos-Silva Collection Location: Bella Vista Cloud Forest Lodge, Tandayapa, Pichincha, Ecuador 100988
|
 Vlas GN SS MZSP Bella Vista Cloud Forest Lodge, Tandayapa, Pich, Ec SS.jpg)
Specimen Type: holotype Sex: m Institution: MZSP Museu de Zoologia da Universidade de São Paulo, Brazil Photographer: Antonio Santos-Silva Collection Location: Bella Vista Cloud Forest Lodge, Tandayapa, Pichincha, Ecuador 100989
|
 Vlas GN SS MZSP Bella Vista Cloud Forest Lodge, Tandayapa, Pich, Ec SS.jpg)
Specimen Type: holotype Sex: m Institution: MZSP Museu de Zoologia da Universidade de São Paulo, Brazil Photographer: Antonio Santos-Silva Collection Location: Bella Vista Cloud Forest Lodge, Tandayapa, Pichincha, Ecuador 100990
|
|