New Search Family, Subfamily and Tribe List

SubFamily Lamiinae

Tribe Hemilophini
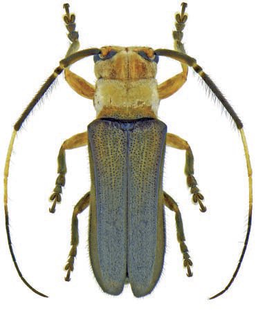
Adesmus patawaensis Roguet 2025

Specimen Type: holotype
Sex: m
Institution: Roguet Collection
Photographer: JP Roguet, https://lamiinae.org
Collection Location: Camp Patawa, Kaw, French Guiana
100964

130425