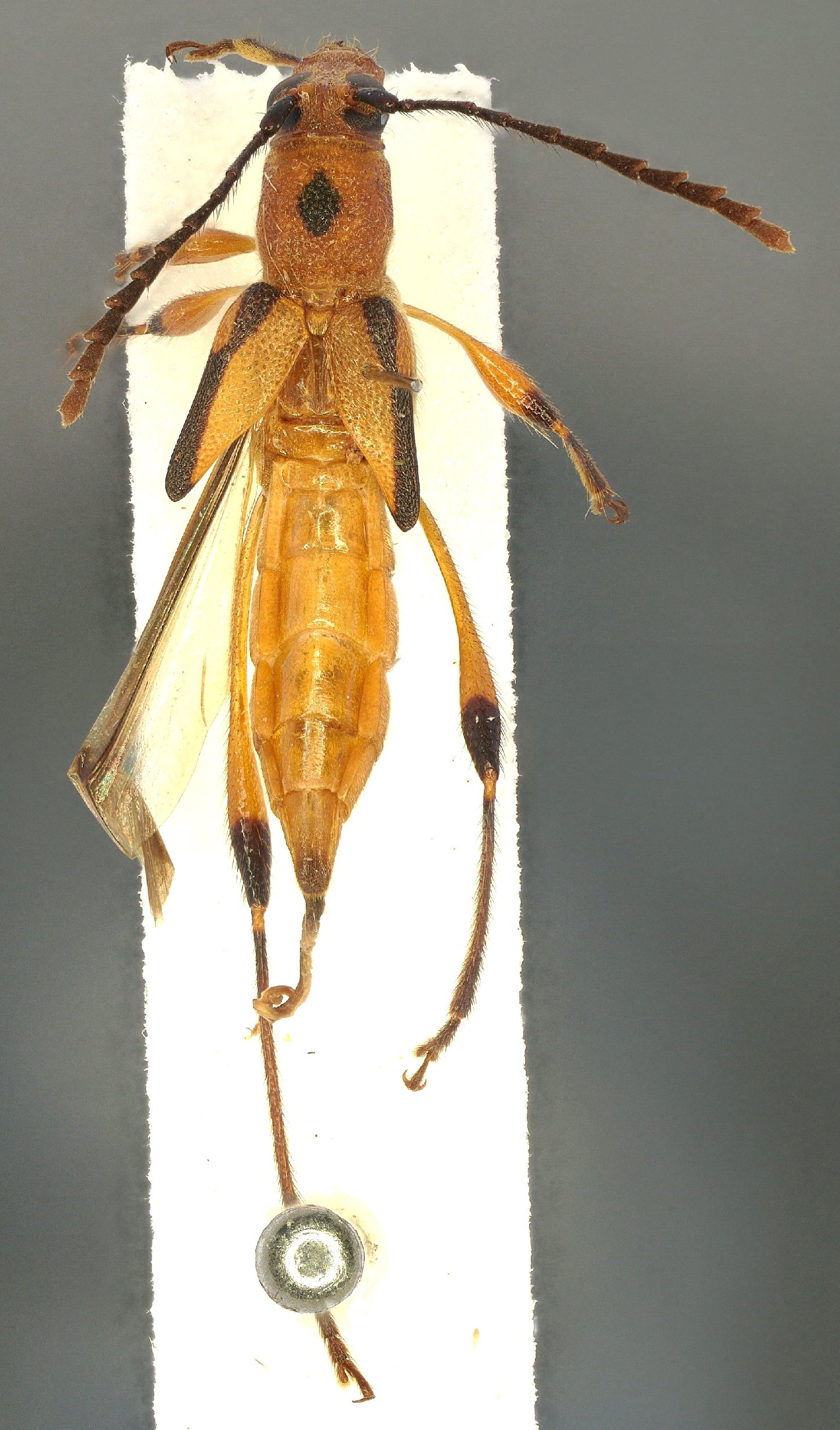
 Bezark BMNH Chiquibul Forest Grande doro, Cayo District, Belize Korneyev pic.jpg)
Specimen Type: holotype Sex: f Institution: BMNH British Museum Natural History, London, UK Photographer: Severyn Korneyev Collection Location: Chiquibul Forest Grande d'oro, Cayo District, Belize 100472
|
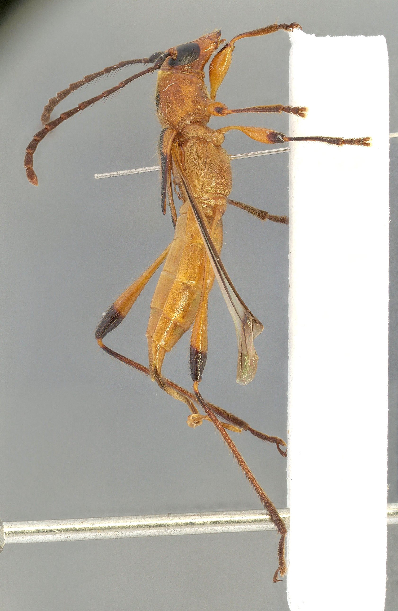
 Bezark BMNH Chiquibul Forest Grande doro, Cayo District, Belize Korneyev pic.jpg)
Specimen Type: holotype Sex: f Institution: BMNH British Museum Natural History, London, UK Photographer: Severyn Korneyev Collection Location: Chiquibul Forest Grande d'oro, Cayo District, Belize 100473
|
 Bezark BMNH Chiquibul Forest Grande doro, Cayo District, Belize Korneyev pic.jpg)
Specimen Type: holotype Sex: f Institution: BMNH British Museum Natural History, London, UK Photographer: Severyn Korneyev Collection Location: Chiquibul Forest Grande d'oro, Cayo District, Belize 100474
|
 Bezark BMNH Chiquibul Forest Grande doro, Cayo District, Belize Korneyev pic.jpg)
Specimen Type: holotype Sex: f Institution: BMNH British Museum Natural History, London, UK Photographer: Severyn Korneyev Collection Location: Chiquibul Forest Grande d'oro, Cayo District, Belize 100475
|
|