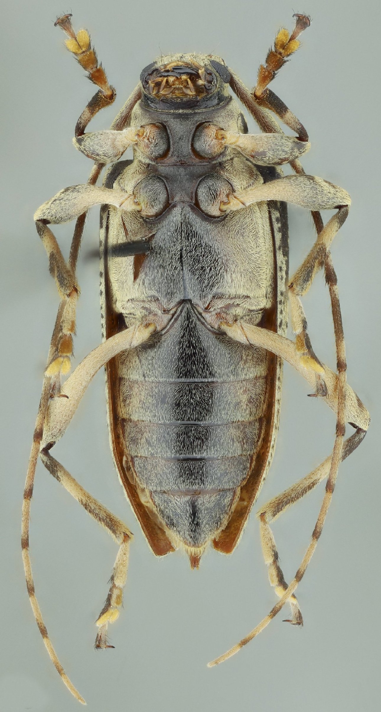
 Vlasak SS MZSP Hacienda San Isidro de Itaqui, Otavalo, Imbabura, Ecuador SS.jpg)
Specimen Type: holotype Sex: m Institution: MZSP Museu de Zoologia da Universidade de São Paulo, Brazil Photographer: Antonio Santos-Silva Collection Location: Hacienda San Isidro de Itaqui, Otavalo, Imbabura, Ecuador 99893
|
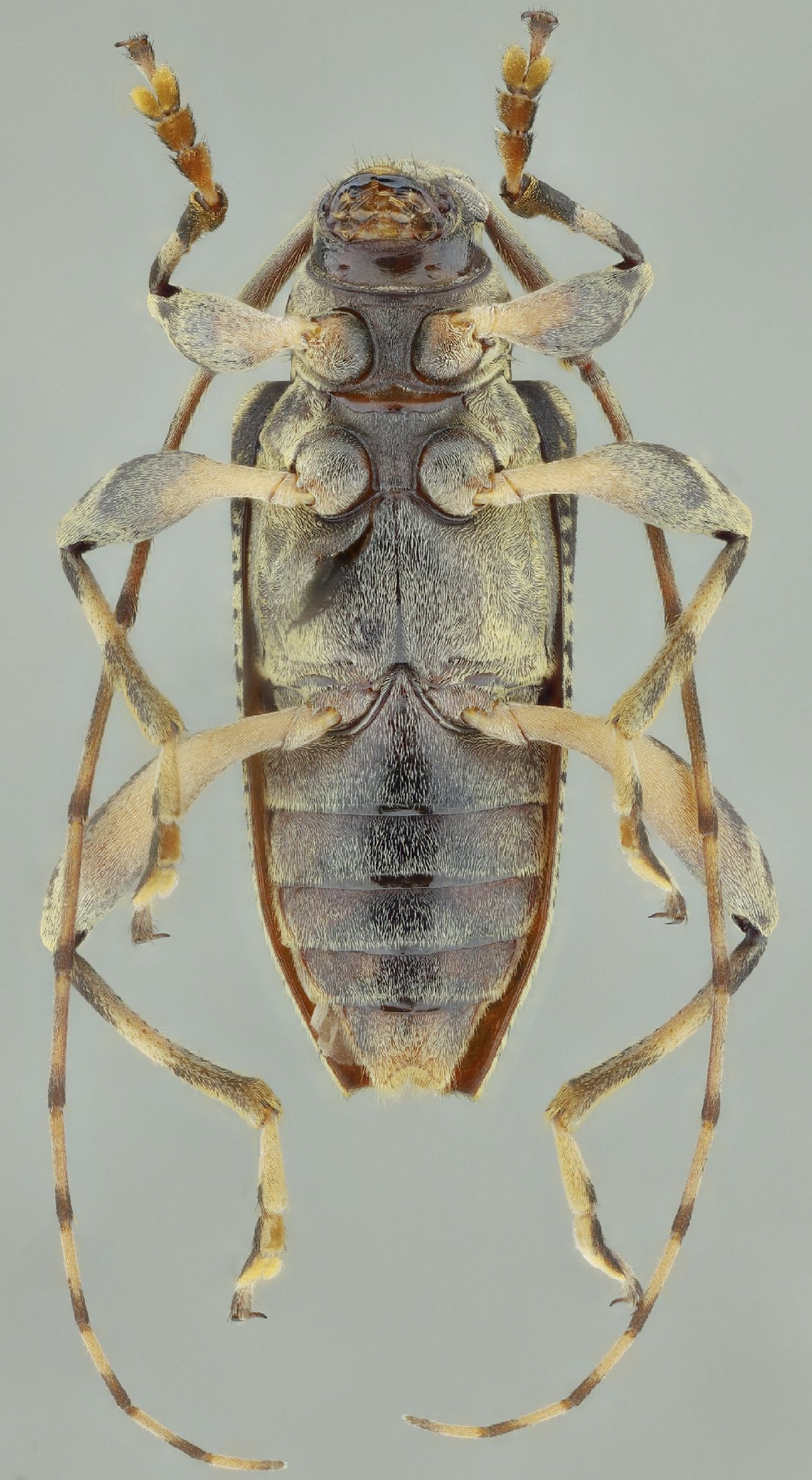
 Vlasak SS MZSP Hacienda San Isidro de Itaqui, Otavalo, Imbabura, Ecuador SS.jpg)
Specimen Type: holotype Sex: m Institution: MZSP Museu de Zoologia da Universidade de São Paulo, Brazil Photographer: Antonio Santos-Silva Collection Location: Hacienda San Isidro de Itaqui, Otavalo, Imbabura, Ecuador 99894
|
 Vlasak SS MZSP Hacienda San Isidro de Itaqui, Otavalo, Imbabura, Ecuador SS.jpg)
Specimen Type: holotype Sex: m Institution: MZSP Museu de Zoologia da Universidade de São Paulo, Brazil Photographer: Antonio Santos-Silva Collection Location: Hacienda San Isidro de Itaqui, Otavalo, Imbabura, Ecuador 99895
|
 Vlasak SS MZSP Hacienda San Isidro de Itaqui, Otavalo, Imbabura, Ecuador SS.jpg)
Specimen Type: holotype Sex: m Institution: MZSP Museu de Zoologia da Universidade de São Paulo, Brazil Photographer: Antonio Santos-Silva Collection Location: Hacienda San Isidro de Itaqui, Otavalo, Imbabura, Ecuador 99896
|
 Vlasak SS MZSP Hacienda San Isidro de Itaqui, Otavalo, Imbabura, Ecuador SS.jpg)
Specimen Type: paratype Sex: f Institution: MZSP Museu de Zoologia da Universidade de São Paulo, Brazil Photographer: Antonio Santos-Silva Collection Location: Hacienda San Isidro de Itaqui, Otavalo, Imbabura, Ecuador 99897
|
 Vlasak SS MZSP Hacienda San Isidro de Itaqui, Otavalo, Imbabura, Ecuador SS.jpg)
Specimen Type: paratype Sex: f Institution: MZSP Museu de Zoologia da Universidade de São Paulo, Brazil Photographer: Antonio Santos-Silva Collection Location: Hacienda San Isidro de Itaqui, Otavalo, Imbabura, Ecuador 99898
|
|