 SS Skill FSCA 1-6 km E Minatitlan, Colima, Mexico SS.jpg)
Specimen Type: holotype Sex: f Institution: FSCA Florida State Collection of Arthropods, Gainesville, FL, USA Photographer: Antonio Santos-Silva Collection Location: 1-6 km E Minatitlan, Colima, Mexico 100915
|
 SS Skill FSCA 1-6 km E Minatitlan, Colima, Mexico SS.jpg)
Specimen Type: holotype Sex: f Institution: FSCA Florida State Collection of Arthropods, Gainesville, FL, USA Photographer: Antonio Santos-Silva Collection Location: 1-6 km E Minatitlan, Colima, Mexico 100916
|
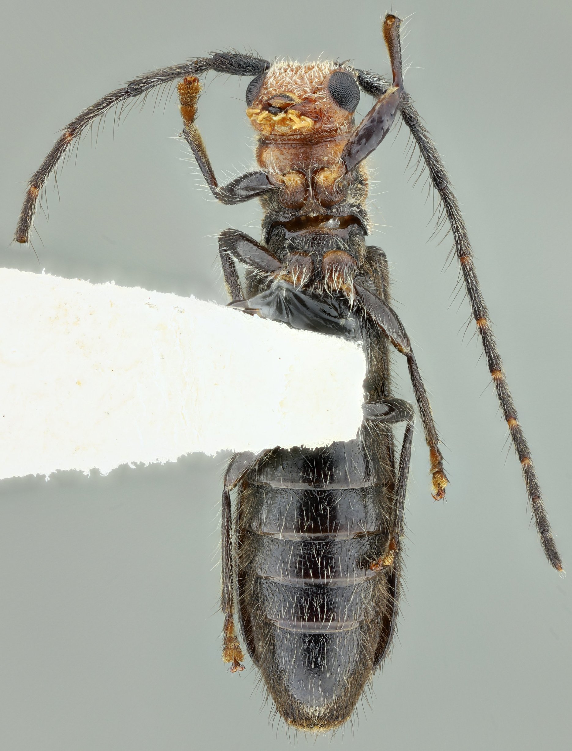
 SS Skill FSCA 1-6 km E Minatitlan, Colima, Mexico SS.jpg)
Specimen Type: holotype Sex: f Institution: FSCA Florida State Collection of Arthropods, Gainesville, FL, USA Photographer: Antonio Santos-Silva Collection Location: 1-6 km E Minatitlan, Colima, Mexico 100917
|
 SS Skill FSCA 1-6 km E Minatitlan, Colima, Mexico SS.jpg)
Specimen Type: holotype Sex: f Institution: FSCA Florida State Collection of Arthropods, Gainesville, FL, USA Photographer: Antonio Santos-Silva Collection Location: 1-6 km E Minatitlan, Colima, Mexico 100918
|
|