 Lanuza Riv MACO Nusagandi, San Blas, Panama.jpg)
Specimen Type: holotype Sex: f Institution: Akers Collection Photographer: Alfredo Lanuza-Garay Collection Location: Nusagandi, San Blas, Panama 98986
|
 Lanuza Riv MACO Nusagandi, San Blas, Panama.jpg)
Specimen Type: holotype Sex: f Institution: Akers Collection Photographer: Alfredo Lanuza-Garay Collection Location: Nusagandi, San Blas, Panama 98987
|
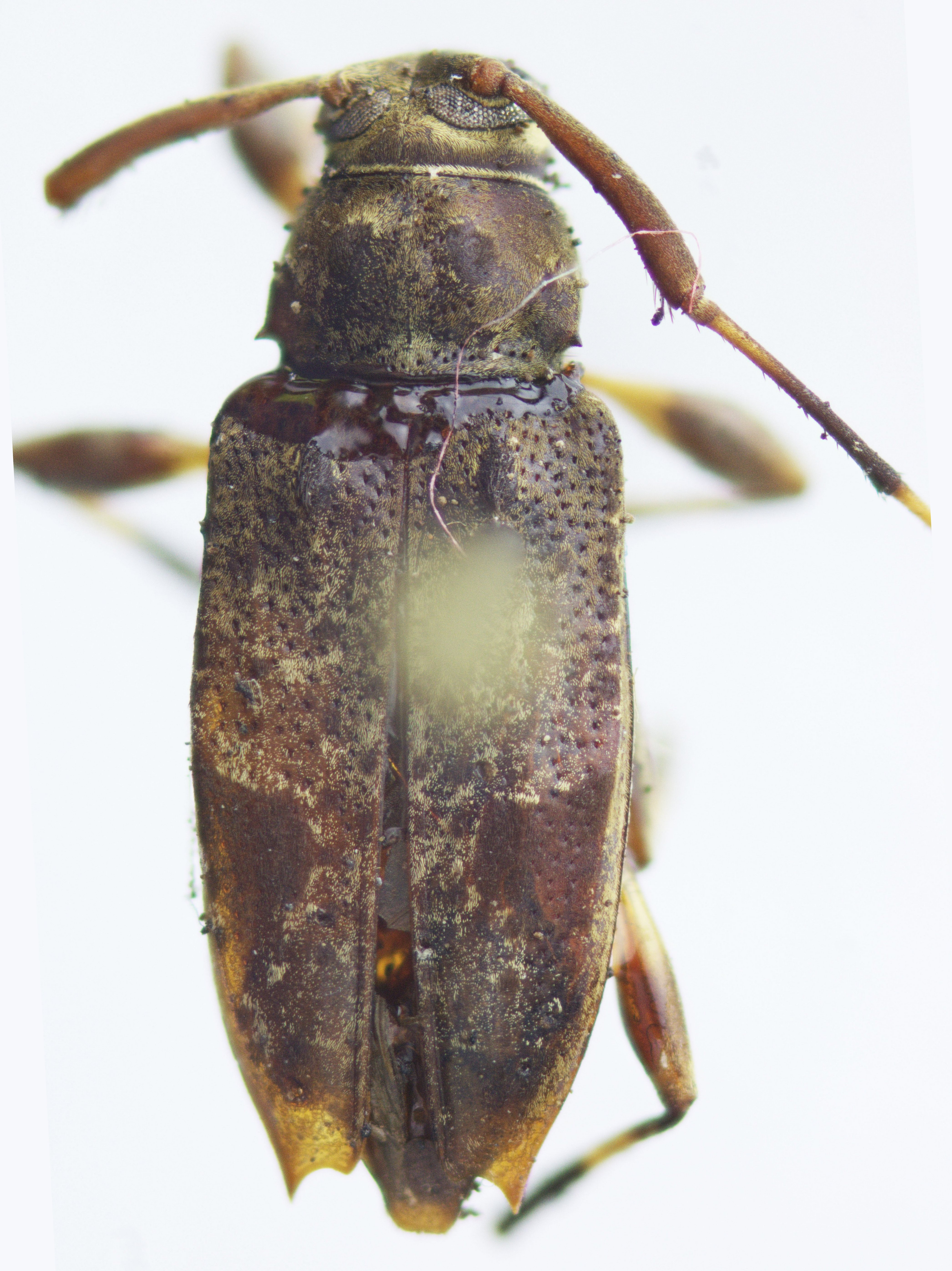
 Lanuza Riv MACO Nusagandi, San Blas, Panama.jpg)
Specimen Type: holotype Sex: f Institution: Akers Collection Photographer: Alfredo Lanuza-Garay Collection Location: Nusagandi, San Blas, Panama 98988
|
|