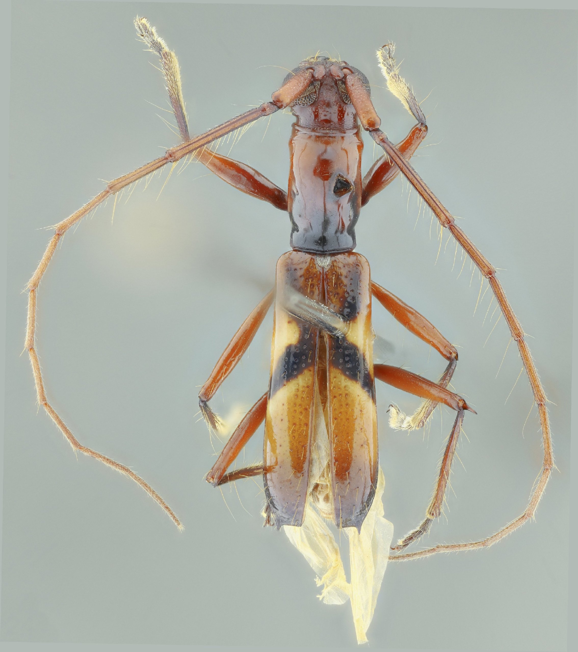
 Carli et al INPA Manaus, Amazonas, Brazil SS.jpg)
Specimen Type: holotype Sex: m Institution: INPA Instituto Nacional de Pesquisas da Amazonia, Manaus, Brazil Photographer: Antonio Santos-Silva Collection Location: Manaus, Amazonas, Brazil 98875
|
 Carli et al INPA Manaus, Amazonas, Brazil SS.jpg)
Specimen Type: holotype Sex: m Institution: INPA Instituto Nacional de Pesquisas da Amazonia, Manaus, Brazil Photographer: Antonio Santos-Silva Collection Location: Manaus, Amazonas, Brazil 98876
|
 Carli et al INPA Manaus, Amazonas, Brazil SS.jpg)
Specimen Type: holotype Sex: m Institution: INPA Instituto Nacional de Pesquisas da Amazonia, Manaus, Brazil Photographer: Antonio Santos-Silva Collection Location: Manaus, Amazonas, Brazil 98877
|
 Carli et al INPA Manaus, Amazonas, Brazil SS.jpg)
Specimen Type: holotype Sex: m Institution: INPA Instituto Nacional de Pesquisas da Amazonia, Manaus, Brazil Photographer: Antonio Santos-Silva Collection Location: Manaus, Amazonas, Brazil 98878
|
|