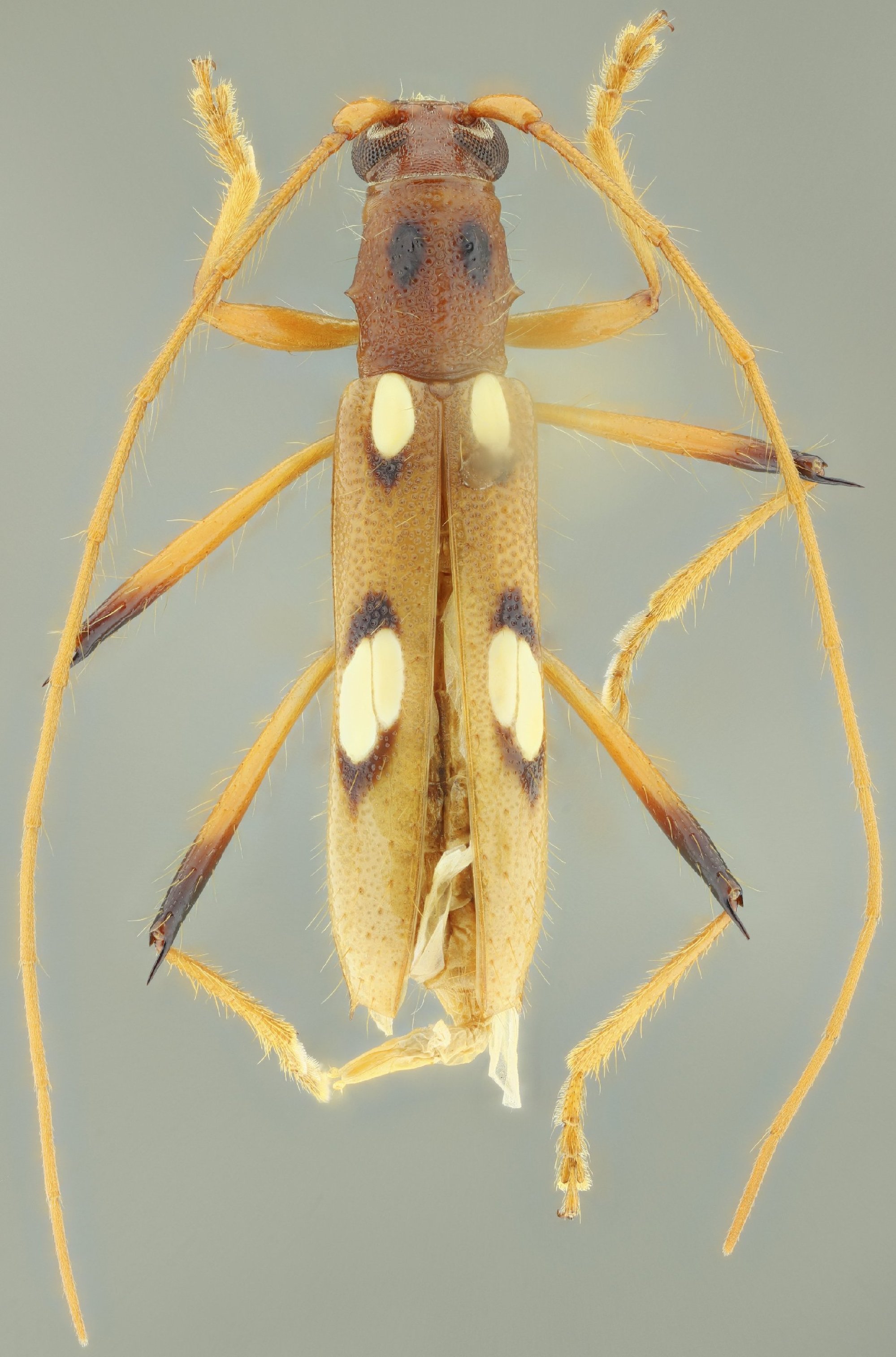
 Carli et al INPA Manaus, Amazonas, Brazil SS.jpg)
Specimen Type: holotype Sex: f Institution: INPA Instituto Nacional de Pesquisas da Amazonia, Manaus, Brazil Photographer: Antonio Santos-Silva Collection Location: Manaus, Amazonas, Brazil 98857
|
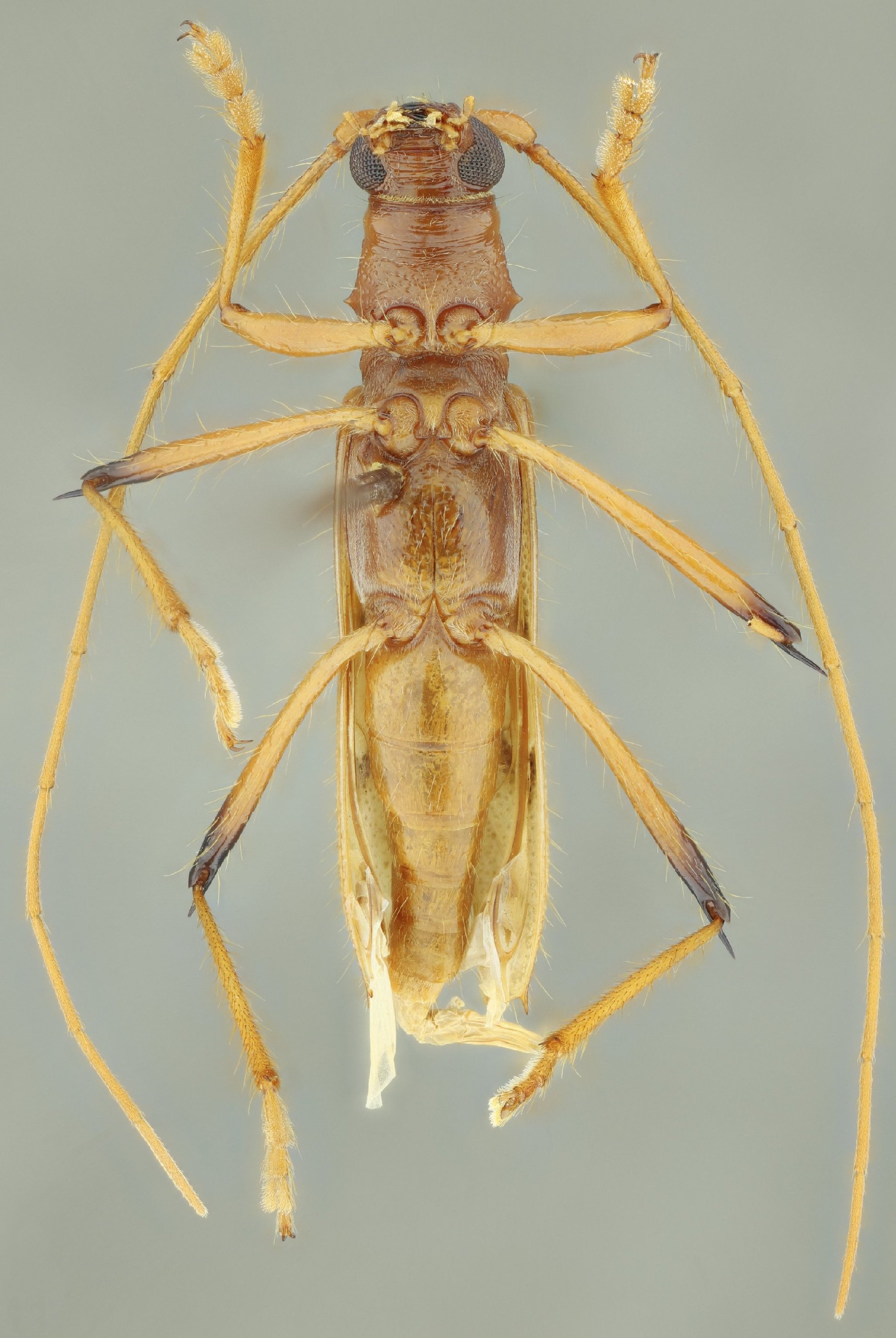
 Carli et al INPA Manaus, Amazonas, Brazil SS.jpg)
Specimen Type: holotype Sex: f Institution: INPA Instituto Nacional de Pesquisas da Amazonia, Manaus, Brazil Photographer: Antonio Santos-Silva Collection Location: Manaus, Amazonas, Brazil 98858
|
 Carli et al INPA Manaus, Amazonas, Brazil SS.jpg)
Specimen Type: holotype Sex: f Institution: INPA Instituto Nacional de Pesquisas da Amazonia, Manaus, Brazil Photographer: Antonio Santos-Silva Collection Location: Manaus, Amazonas, Brazil 98859
|
 Carli et al INPA Manaus, Amazonas, Brazil SS.jpg)
Specimen Type: holotype Sex: f Institution: INPA Instituto Nacional de Pesquisas da Amazonia, Manaus, Brazil Photographer: Antonio Santos-Silva Collection Location: Manaus, Amazonas, Brazil 98860
|
|