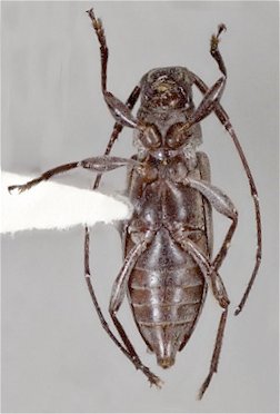
 Lanuza-Garay etal STRI Humboldt, Aripuana, Mato Grosso, Brazil Lan-Gar.jpg)
Specimen Type: holotype Sex: f Institution: STRI Photographer: Alfredo Lanuza-Garay Collection Location: Humboldt, Aripuana, Mato Grosso, Brazil 98840
|
 Lanuza-Garay etal STRI Humboldt, Aripuana, Mato Grosso, Brazil Lan-Gar.jpg)
Specimen Type: holotype Sex: f Institution: STRI Photographer: Alfredo Lanuza-Garay Collection Location: Humboldt, Aripuana, Mato Grosso, Brazil 98841
|
 Lanuza-Garay etal STRI Humboldt, Aripuana, Mato Grosso, Brazil Lan-Gar.jpg)
Specimen Type: holotype Sex: f Institution: STRI Photographer: Alfredo Lanuza-Garay Collection Location: Humboldt, Aripuana, Mato Grosso, Brazil 98842
|
 Lanuza-Garay etal STRI Humboldt, Aripuana, Mato Grosso, Brazil Lan-Gar.jpg)
Specimen Type: holotype Sex: f Institution: STRI Photographer: Alfredo Lanuza-Garay Collection Location: Humboldt, Aripuana, Mato Grosso, Brazil 98843
|
|