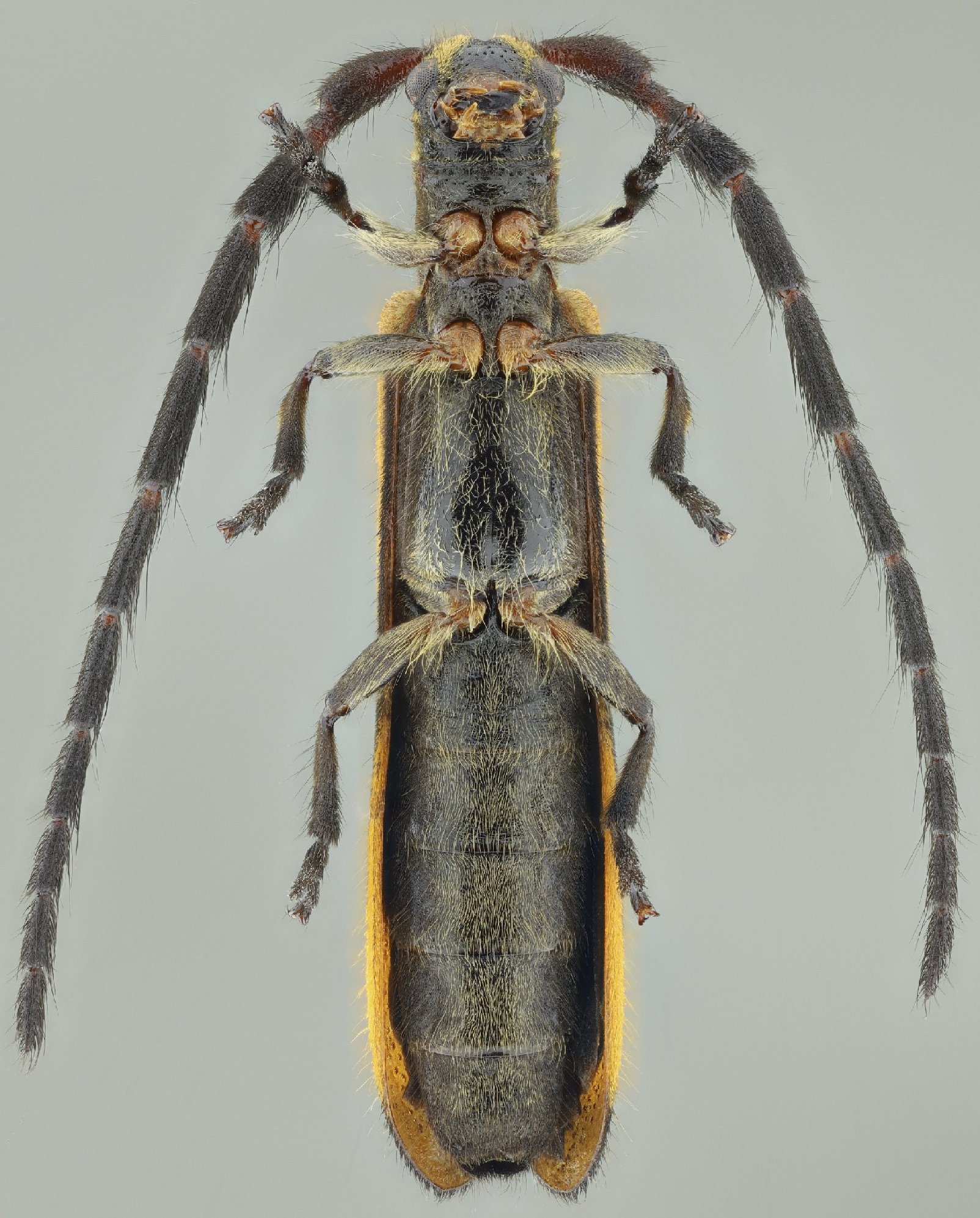
 Vlasak Nasc SS MZSP Cabanas Intag Colibri, Imbabura, Ecuador SS.jpg)
Specimen Type: holotype Sex: f Institution: MZSP Museu de Zoologia da Universidade de São Paulo, Brazil Photographer: Antonio Santos-Silva Collection Location: Cabanas Intag Colibri, Imbabura, Ecuador 98795
|
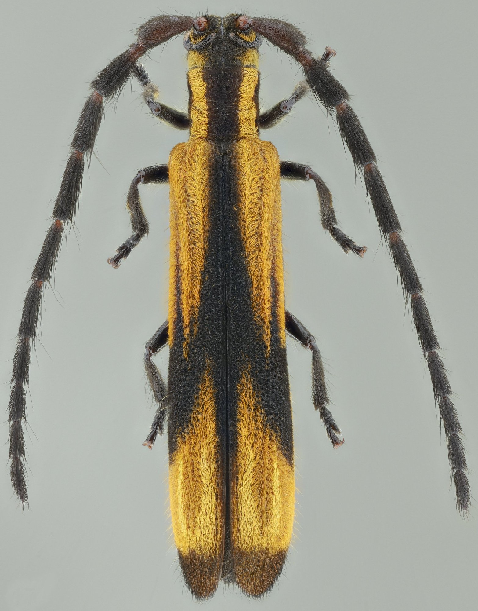
 Vlasak Nasc SS MZSP Cabanas Intag Colibri, Imbabura, Ecuador SS.jpg)
Specimen Type: holotype Sex: f Institution: MZSP Museu de Zoologia da Universidade de São Paulo, Brazil Photographer: Antonio Santos-Silva Collection Location: Cabanas Intag Colibri, Imbabura, Ecuador 98796
|
 Vlasak Nasc SS MZSP Cabanas Intag Colibri, Imbabura, Ecuador SS.jpg)
Specimen Type: holotype Sex: f Institution: MZSP Museu de Zoologia da Universidade de São Paulo, Brazil Photographer: Antonio Santos-Silva Collection Location: Cabanas Intag Colibri, Imbabura, Ecuador 98797
|
 Vlasak Nasc SS MZSP Cabanas Intag Colibri, Imbabura, Ecuador SS.jpg)
Specimen Type: holotype Sex: f Institution: MZSP Museu de Zoologia da Universidade de São Paulo, Brazil Photographer: Antonio Santos-Silva Collection Location: Cabanas Intag Colibri, Imbabura, Ecuador 98798
|
|