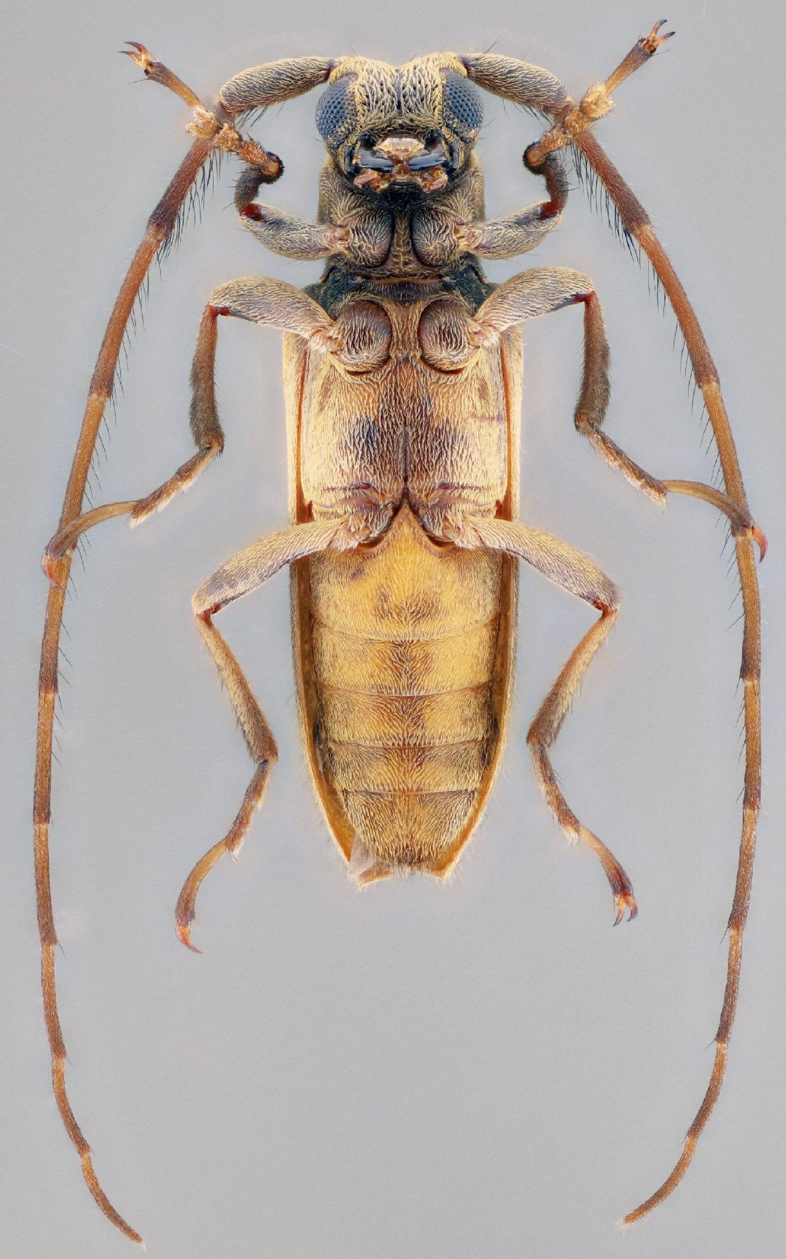
 Vlasak SS MZSP El Septimo Paraiso Hotel, Pichincha, Ecuador SS.jpg)
Specimen Type: holotype Sex: m Institution: MZSP Museu de Zoologia da Universidade de São Paulo, Brazil Photographer: Antonio Santos-Silva Collection Location: El Septimo Paraiso Hotel, Pichincha, Ecuador 98789
|
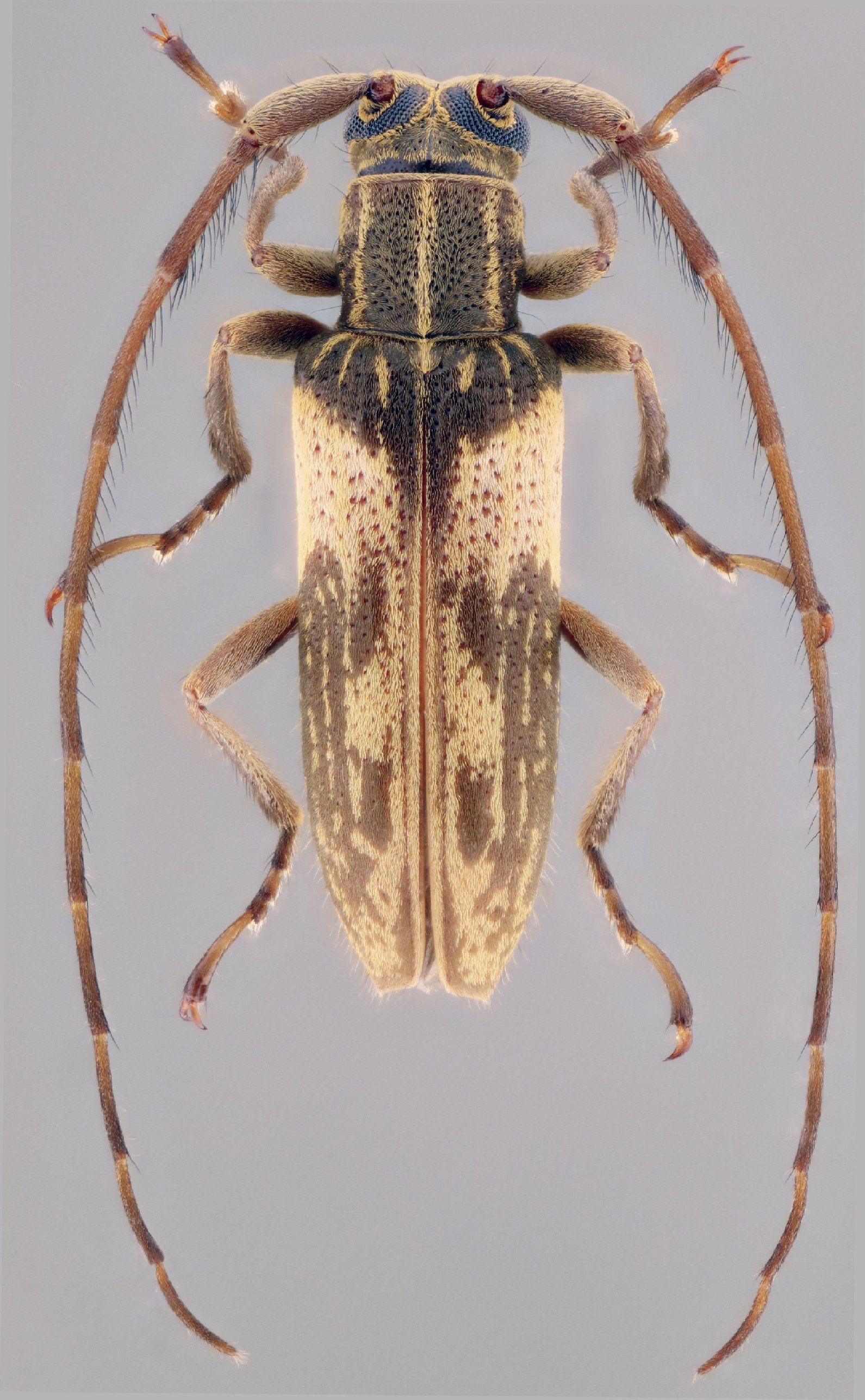
 Vlasak SS MZSP El Septimo Paraiso Hotel, Pichincha, Ecuador SS.jpg)
Specimen Type: holotype Sex: m Institution: MZSP Museu de Zoologia da Universidade de São Paulo, Brazil Photographer: Antonio Santos-Silva Collection Location: El Septimo Paraiso Hotel, Pichincha, Ecuador 98790
|
 Vlasak SS MZSP El Septimo Paraiso Hotel, Pichincha, Ecuador SS.jpg)
Specimen Type: holotype Sex: m Institution: MZSP Museu de Zoologia da Universidade de São Paulo, Brazil Photographer: Antonio Santos-Silva Collection Location: El Septimo Paraiso Hotel, Pichincha, Ecuador 98791
|
 Vlasak SS MZSP El Septimo Paraiso Hotel, Pichincha, Ecuador SS.jpg)
Specimen Type: holotype Sex: m Institution: MZSP Museu de Zoologia da Universidade de São Paulo, Brazil Photographer: Antonio Santos-Silva Collection Location: El Septimo Paraiso Hotel, Pichincha, Ecuador 98792
|
|