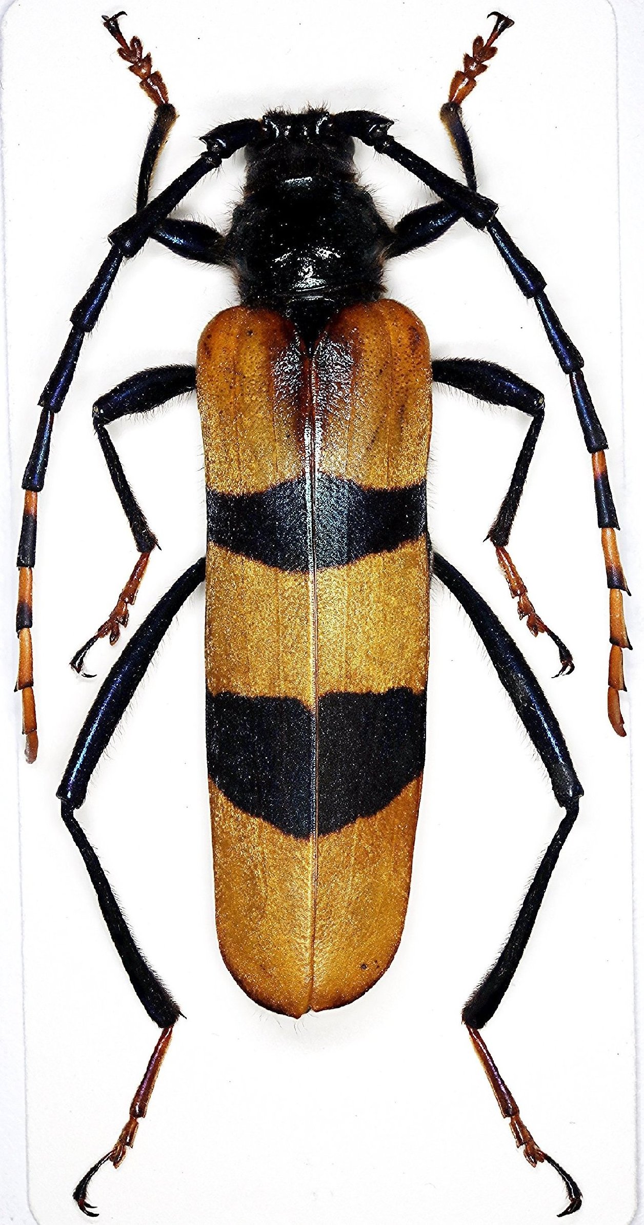
 Skale Coll Sibayak Vulkan, Berastagi, N Sumatra.jpg)
Specimen Type: holotype Sex: m Institution: Skale Collection Photographer: Andre Skale Collection Location: Sibayak Vulkan, Berastagi, N Sumatra 98750
|
 Skale Coll Berastagi, N Sumatra.jpg)
Specimen Type: paratype Sex: f Institution: Skale Collection Photographer: Andre Skale Collection Location: Berastagi, N Sumatra 98751
|