New Search Family, Subfamily and Tribe List

SubFamily Cerambycinae

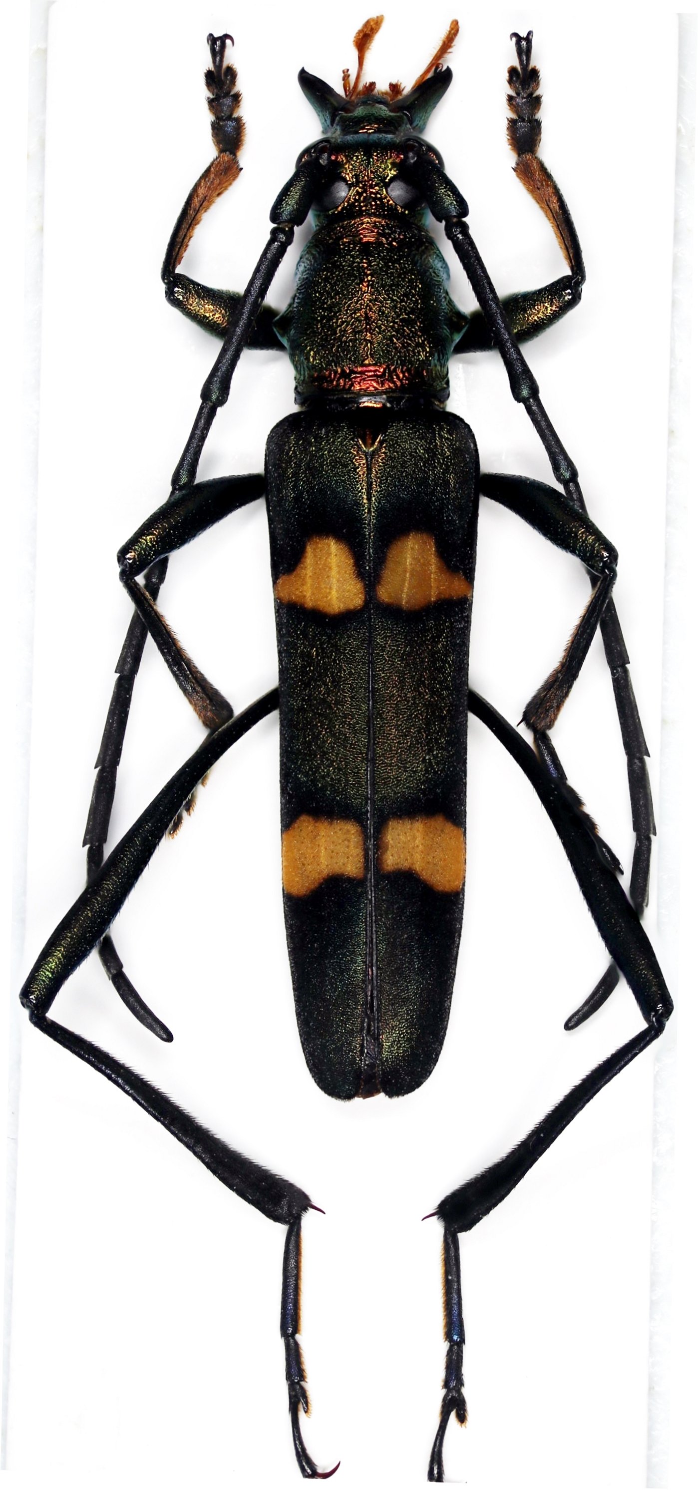
Tribe Callichromatini
Polyzonus lamdongensis Skale 2024

Specimen Type: holotype
Sex: m
Institution: Skale Collection
Photographer: Andre Skale
Collection Location: Dambri, Lam Dong Vietnam
98748

130425