New Search Family, Subfamily and Tribe List

SubFamily Lamiinae

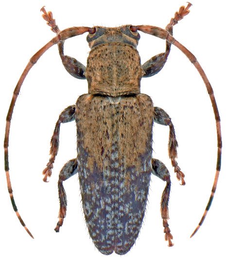
Tribe Desmiphorini
Estola partebrunnea Roguet 2024

Specimen Type: holotype
Sex: f
Institution: Roguet Collection
Photographer: JP Roguet, https://lamiinae.org
Collection Location: pk 50 Montagne de Kaw, French Guiana
96770

130425