New Search Family, Subfamily and Tribe List

SubFamily Lamiinae

Tribe Desmiphorini
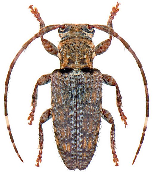
Estola flavomaculata Roguet 2024

Specimen Type: holotype
Sex: f
Institution: Roguet Collection
Photographer: JP Roguet, https://lamiinae.org
Collection Location: Bagne Annamites trail, Montsinery-Tonnegrande, French Guiana
96767

130425