New Search Family, Subfamily and Tribe List

SubFamily Lepturinae

Tribe Lepturini
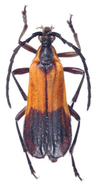
Euryptera unilineatocollis Fuchs 1956

Collection Location: Itatiaia, Rio de Janeiro, Brazil
25893


Photographer: Ole Mehl
Collection Location: Department Alto Parana, Paraguay
36777

130425