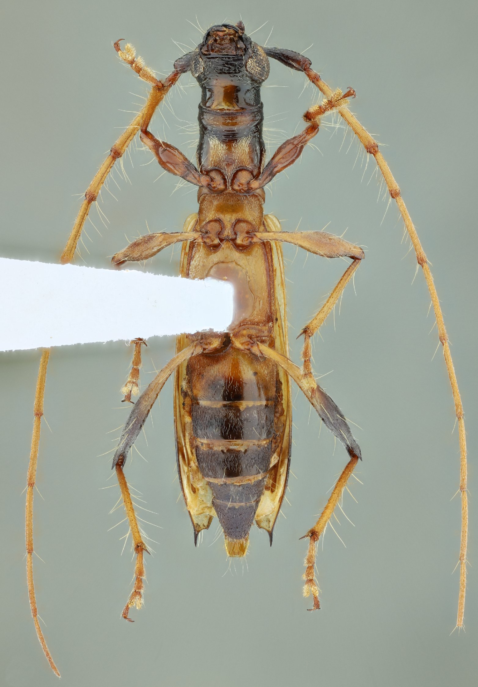
 Vlasak SS MZSP Refugio los Volcanes, Santa Cruz, Bolivia SS.jpg)
Specimen Type: holotype Sex: f Institution: MZSP Museu de Zoologia da Universidade de São Paulo, Brazil Photographer: Antonio Santos-Silva Collection Location: Refugio los Volcanes, Santa Cruz, Bolivia 96579
|
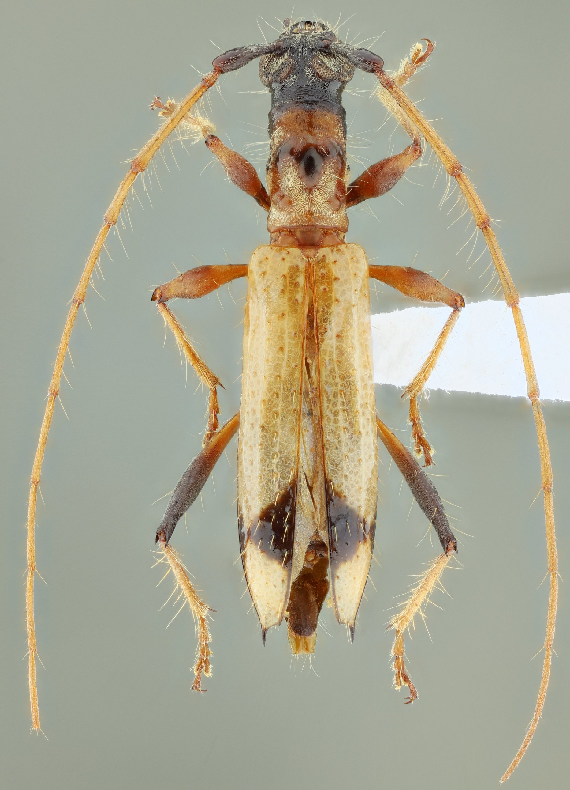
 Vlasak SS MZSP Refugio los Volcanes, Santa Cruz, Bolivia SS.jpg)
Specimen Type: holotype Sex: f Institution: MZSP Museu de Zoologia da Universidade de São Paulo, Brazil Photographer: Antonio Santos-Silva Collection Location: Refugio los Volcanes, Santa Cruz, Bolivia 96580
|
 Vlasak SS MZSP Refugio los Volcanes, Santa Cruz, Bolivia SS.jpg)
Specimen Type: holotype Sex: f Institution: MZSP Museu de Zoologia da Universidade de São Paulo, Brazil Photographer: Antonio Santos-Silva Collection Location: Refugio los Volcanes, Santa Cruz, Bolivia 96581
|
 Vlasak SS MZSP Refugio los Volcanes, Santa Cruz, Bolivia SS.jpg)
Specimen Type: holotype Sex: f Institution: MZSP Museu de Zoologia da Universidade de São Paulo, Brazil Photographer: Antonio Santos-Silva Collection Location: Refugio los Volcanes, Santa Cruz, Bolivia 96582
|
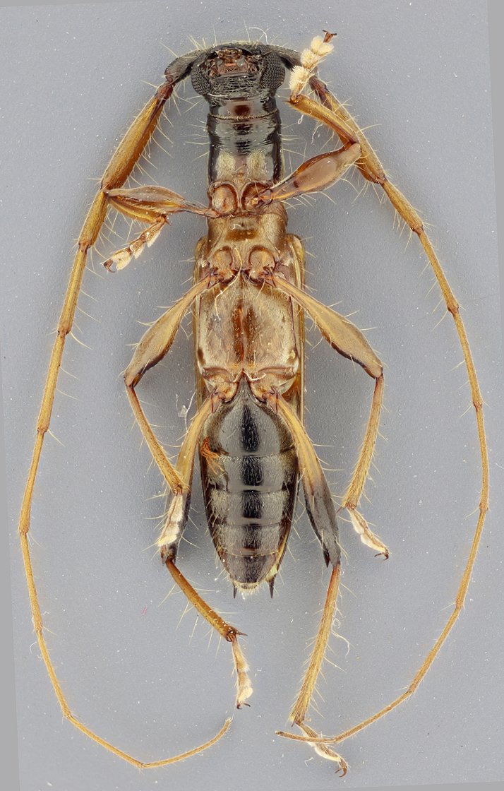
 Vlasak coll SS Refugio los Volcanes, Santa Cruz, Bolivia JV.jpg)
Specimen Type: paratype Sex: m Institution: Vlasak Collection Photographer: Josef Vlasak Collection Location: Refugio los Volcanes, Santa Cruz, Bolivia 96583
|
 Vlasak coll SS Refugio los Volcanes, Santa Cruz, Bolivia JV.jpg)
Specimen Type: paratype Sex: m Institution: Vlasak Collection Photographer: Josef Vlasak Collection Location: Refugio los Volcanes, Santa Cruz, Bolivia 96584
|
|