 SS Bot PF Skill coll 12 km N Felipe Carillo Puerto, QR, Mex.jpg)
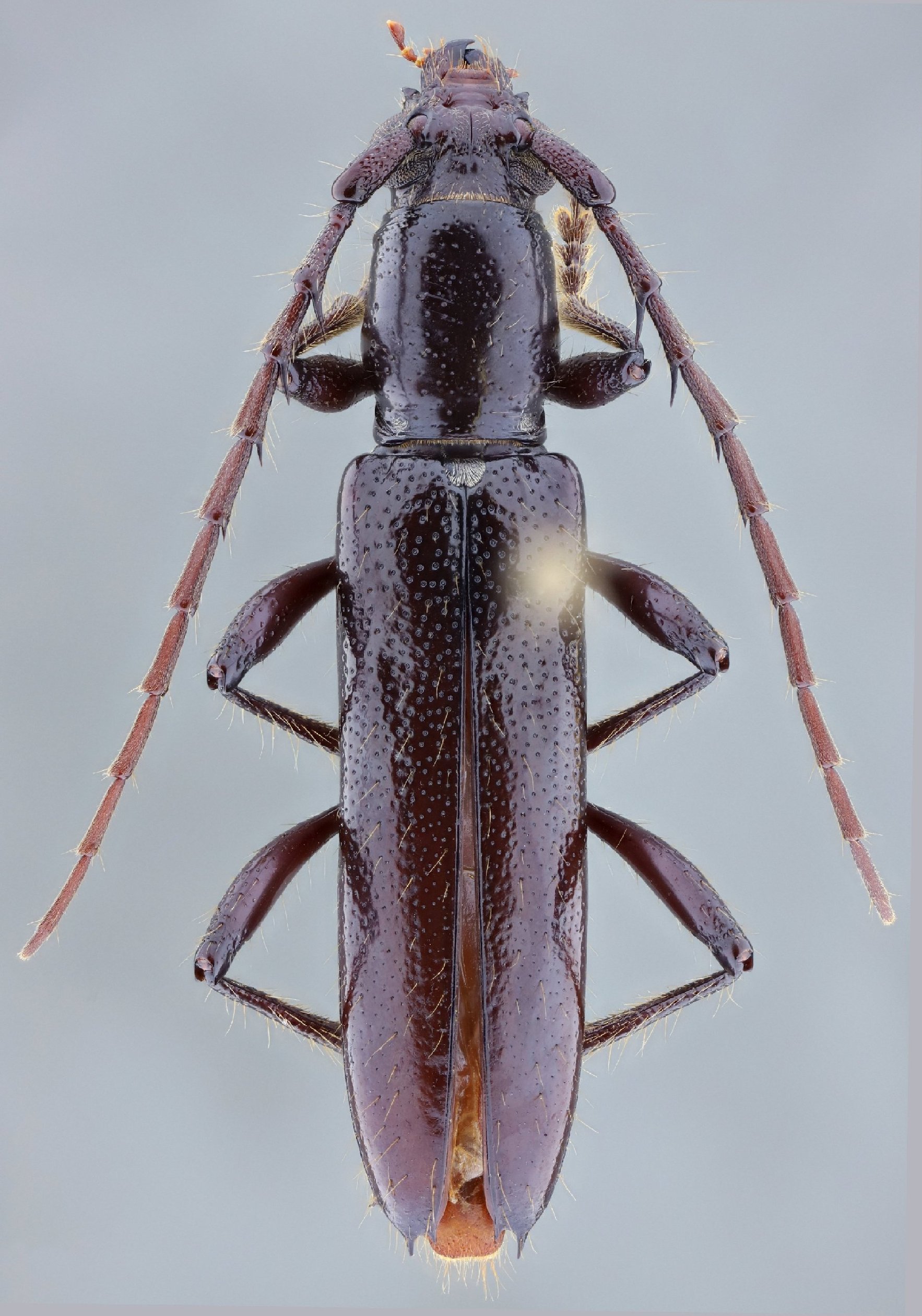
Specimen Type: holotype Sex: f Institution: Skillman Collection Photographer: Antonio Santos-Silva Collection Location: 12 km N Felipe Carillo Puerto, Quintana Roo, Mexico 96355
|
 SS Bot PF Skill coll 12 km N Felipe Carillo Puerto, QR, Mex.jpg)
Specimen Type: holotype Sex: f Institution: Skillman Collection Photographer: Antonio Santos-Silva Collection Location: 12 km N Felipe Carillo Puerto, Quintana Roo, Mexico 96356
|
 SS Bot PF Skill coll 12 km N Felipe Carillo Puerto, QR, Mex.jpg)
Specimen Type: holotype Sex: f Institution: Skillman Collection Photographer: Antonio Santos-Silva Collection Location: 12 km N Felipe Carillo Puerto, Quintana Roo, Mexico 96357
|
 SS Bot PF Skill coll 12 km N Felipe Carillo Puerto, QR, Mex.jpg)
Specimen Type: holotype Sex: f Institution: Skillman Collection Photographer: Antonio Santos-Silva Collection Location: 12 km N Felipe Carillo Puerto, Quintana Roo, Mexico 96358
|
|