 Gouv coll Chemin Namkat Yorla Pa Resort, Oudomxay Prov, Laos.jpg)
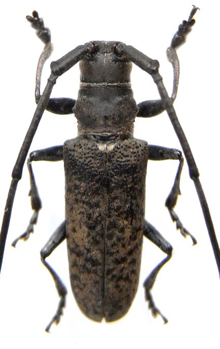
Specimen Type: holotype Sex: m Institution: Gouverneur Collection Photographer: Xavier Gouverneur Collection Location: Namkat Yorla Pa Resort, Oudomxay Prov, Laos 96333
|
 Gouv coll Chemin Namkat Yorla Pa Resort, Oudomxay Prov, Laos.jpg)
Specimen Type: paratype Sex: f Institution: Gouverneur Collection Photographer: Xavier Gouverneur Collection Location: Namkat Yorla Pa Resort, Oudomxay Prov, Laos 96334
|