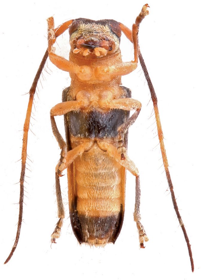
 Audureau Coll Aguaytia, Padre Abad Province, Ucayali Region, Peru.jpg)
Specimen Type: holotype Sex: m Institution: Audureau Collection Photographer: Alain Audureau Collection Location: Aguaytia, Padre Abad Province, Ucayali Region, Peru 96141
|
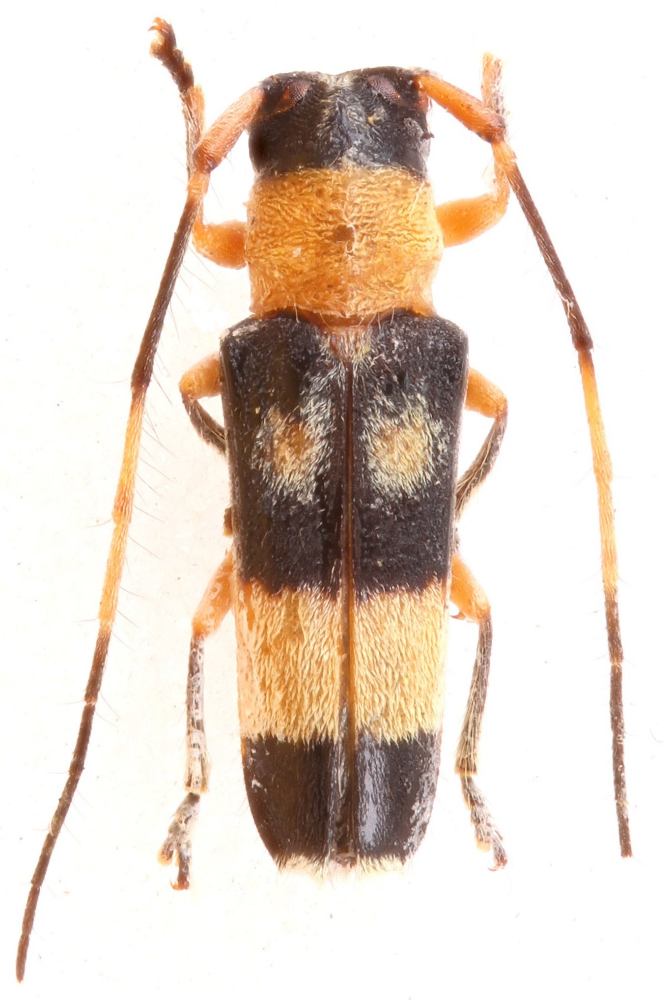
 Audureau Coll Aguaytia, Padre Abad Province, Ucayali Region, Peru.jpg)
Specimen Type: holotype Sex: m Institution: Audureau Collection Photographer: Alain Audureau Collection Location: Aguaytia, Padre Abad Province, Ucayali Region, Peru 96142
|
 Audureau Coll Aguaytia, Padre Abad Province, Ucayali Region, Peru.jpg)
Specimen Type: holotype Sex: m Institution: Audureau Collection Photographer: Alain Audureau Collection Location: Aguaytia, Padre Abad Province, Ucayali Region, Peru 96143
|
|