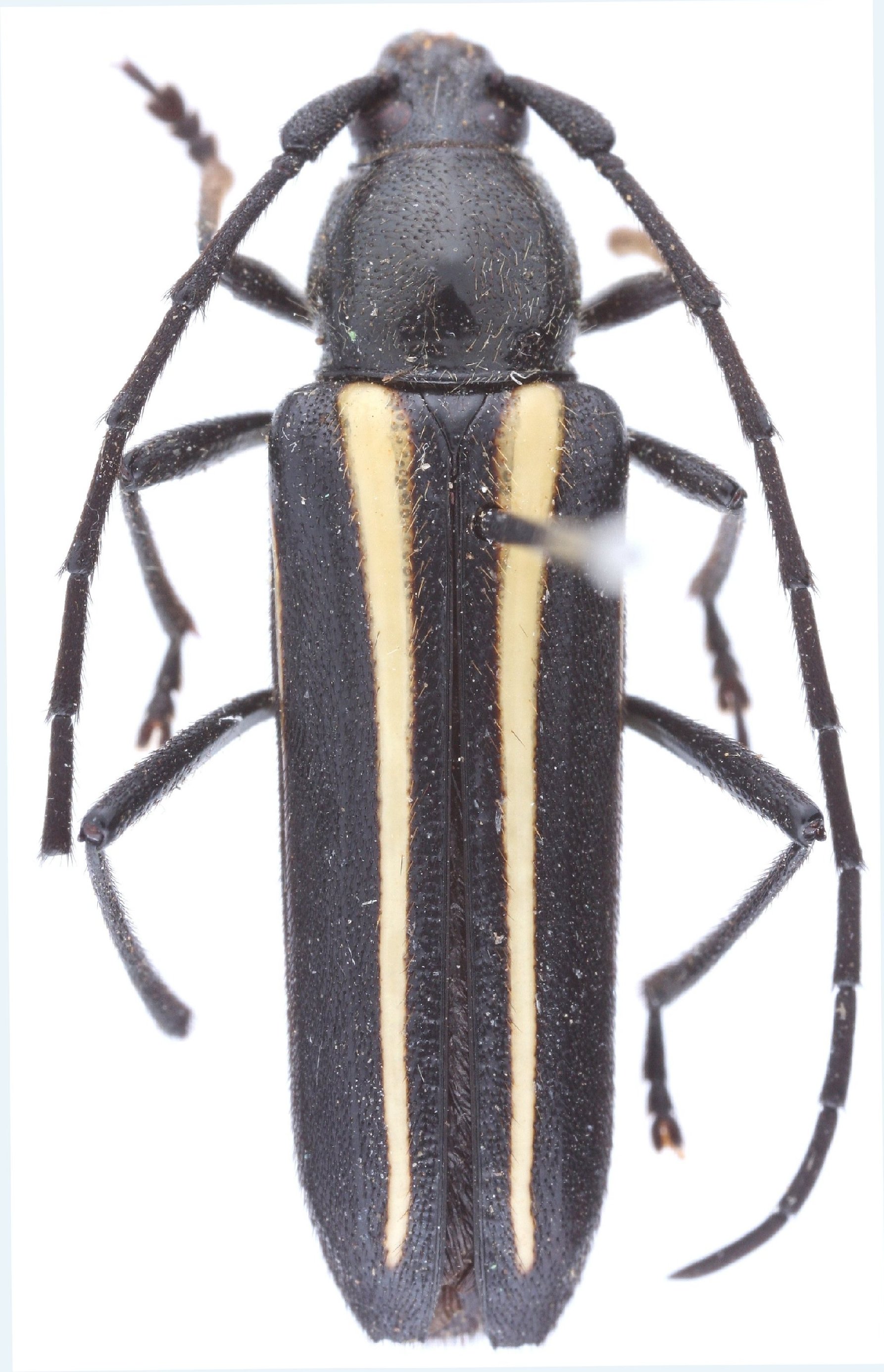
 Eya CSCA 16.6 km S Zumpimito, Hwy 37 km 98, Michoacan, Mexico.jpg)
Specimen Type: holotype Sex: m Institution: CSCA California State Collection of Arthropods, Sacramento, California Photographer: Bryan Eya Collection Location: 16.6 km S Zumpimito, Hwy 37 km 98, Michoacan, Mexico 95908
|
 Eya CSCA 16.6 km S Zumpimito, Hwy 37 km 98, Michoacan, Mexico.jpg)
Specimen Type: holotype Sex: m Institution: CSCA California State Collection of Arthropods, Sacramento, California Photographer: Bryan Eya Collection Location: 16.6 km S Zumpimito, Hwy 37 km 98, Michoacan, Mexico 95909
|
 Eya EMEC Jalastoc, Morelos Mexico.jpg)
Specimen Type: allotype Sex: f Institution: EMEC Essig Museum of Entomology, Berkeley, CA, USA Photographer: Bryan Eya Collection Location: Jalastoc, Morelos, Mexico 95910
|
 Eya EMEC Jalastoc, Morelos Mexico.jpg)
Specimen Type: allotype Sex: f Institution: EMEC Essig Museum of Entomology, Berkeley, CA, USA Photographer: Bryan Eya Collection Location: Jalastoc, Morelos, Mexico 95911
|
|