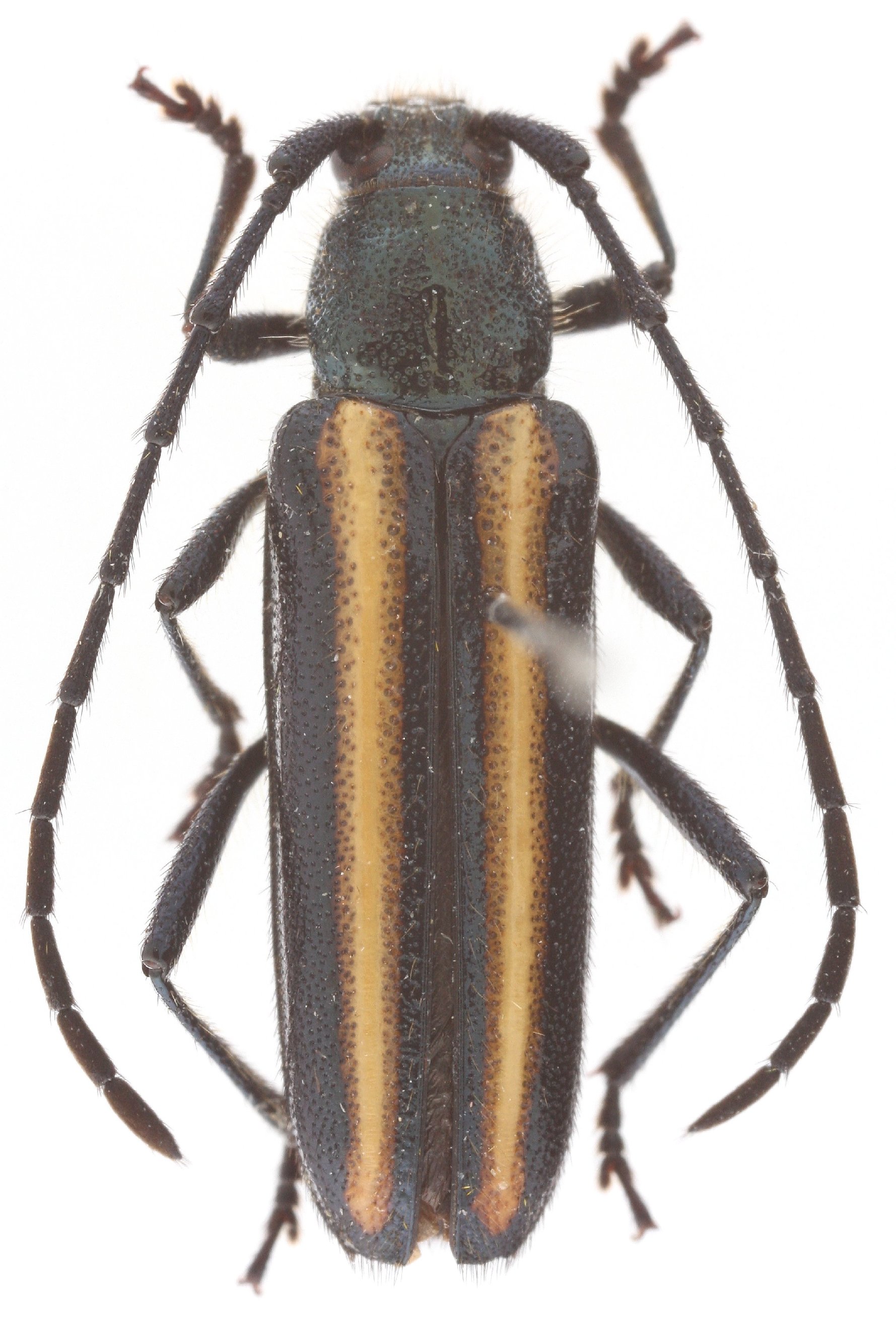
 Eya FSCA 2-6 km S La Trinitaria, Chiapas, Mexico.jpg)
Specimen Type: holotype Sex: m Institution: FSCA Florida State Collection of Arthropods, Gainesville, FL, USA Photographer: Bryan Eya Collection Location: 2-6 km S La Trinitaria, Chiapas, Mexico 95904
|
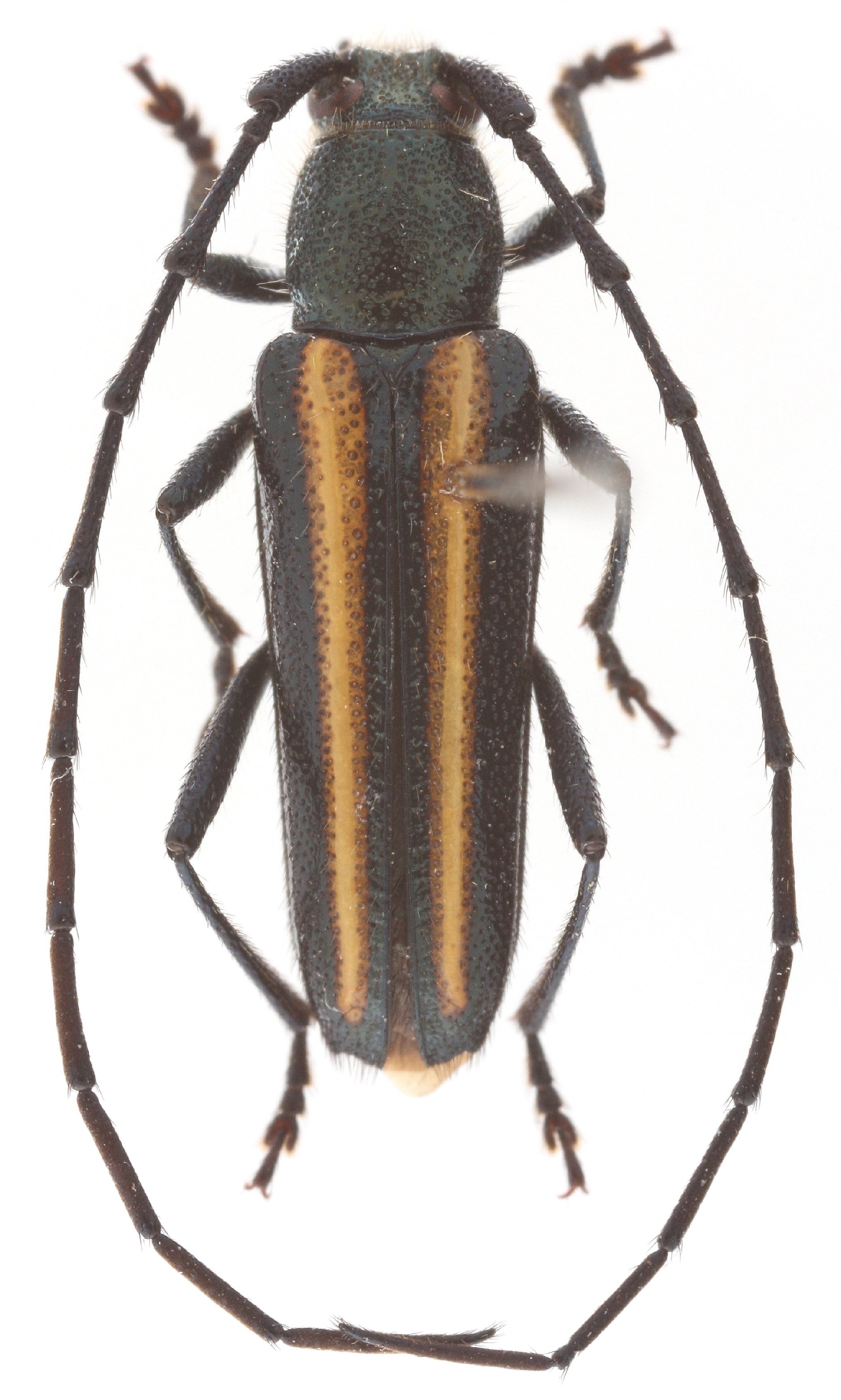
 Eya FSCA 2-6 km S La Trinitaria, Chiapas, Mexico.jpg)
Specimen Type: holotype Sex: m Institution: FSCA Florida State Collection of Arthropods, Gainesville, FL, USA Photographer: Bryan Eya Collection Location: 2-6 km S La Trinitaria, Chiapas, Mexico 95905
|
 Eya 2-6 km S La Trinitaria, Chiapas, Mexico.jpg)
Specimen Type: paratype Sex: f Institution: FSCA Florida State Collection of Arthropods, Gainesville, FL, USA Photographer: Bryan Eya Collection Location: 2-6 km S La Trinitaria, Chiapas, Mexico 95906
|
 Eya 2-6 km S La Trinitaria, Chiapas, Mexico.jpg)
Specimen Type: paratype Sex: f Institution: FSCA Florida State Collection of Arthropods, Gainesville, FL, USA Photographer: Bryan Eya Collection Location: 2-6 km S La Trinitaria, Chiapas, Mexico 95907
|
|