New Search Family, Subfamily and Tribe List

SubFamily Lamiinae

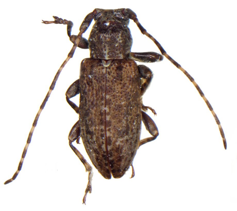
Tribe Apomecynini
Acrepidopterum fuscum Lingafelter 2024

Specimen Type: holotype
Sex: m
Institution: NMNH United States National Museum, Washington, DC, USA
Photographer: Steve Lingafelter
Collection Location: El Cachote, Barahona Province, Dominican Republic
95853

130425