 Ling NMNH 14 km N Cabo Rojo, Pedernales Province, Dominican Republic SWL.jpg)
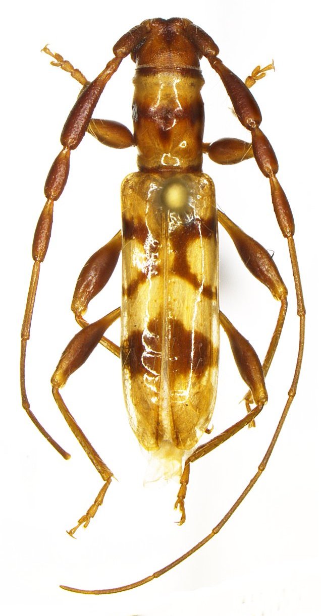
Specimen Type: holotype Sex: m Institution: NMNH United States National Museum, Washington, DC, USA Photographer: Steve Lingafelter Collection Location: 14 km N Cabo Rojo, Pedernales Province, Dominican Republic 95855
|
 Ling NMNH 14 km N Cabo Rojo, Pedernales Province, Dominican Republic SWL.jpg)
Specimen Type: holotype Sex: m Institution: NMNH United States National Museum, Washington, DC, USA Photographer: Steve Lingafelter Collection Location: 14 km N Cabo Rojo, Pedernales Province, Dominican Republic 95856
|