New Search Family, Subfamily and Tribe List

SubFamily Cerambycinae

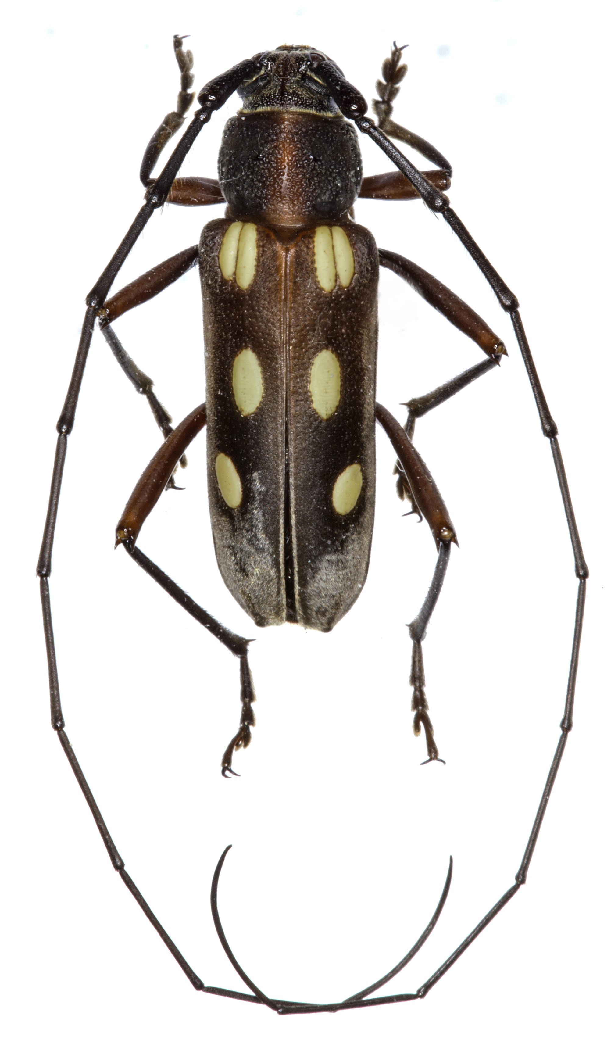
Tribe Eburiini
Eburiola konstantinovi Lingafelter 2024

Specimen Type: holotype
Sex: m
Institution: NMNH United States National Museum, Washington, DC, USA
Photographer: Steve Lingafelter
Collection Location: Las Abejas, Sierra de Baoruco, Pedernales Province, Dominican Republic
95833

130425