New Search Family, Subfamily and Tribe List

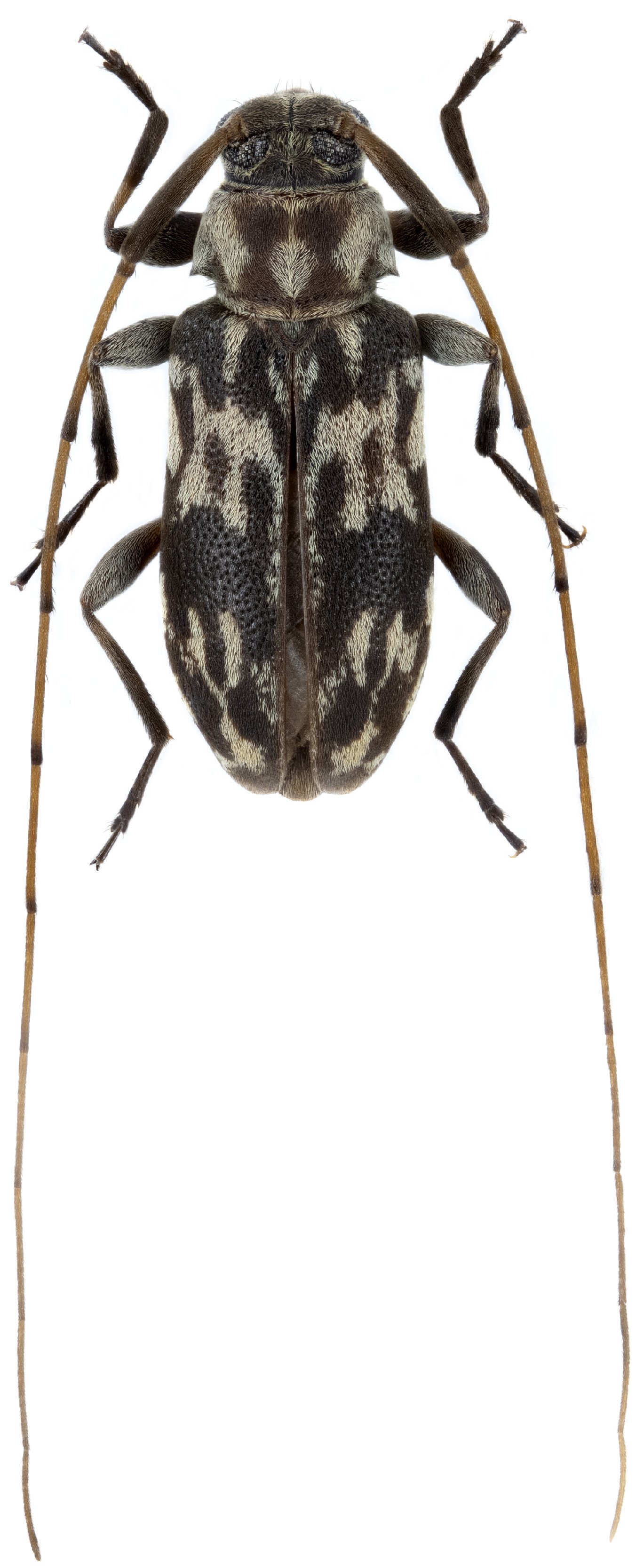
SubFamily Lamiinae

Tribe Acanthocinini
Polymitoleiopus annae Lazarev & Skrylnik 2023

Photographer: David Navratil
Determiner: Jerome Sudre
Collection Location: 6 km W Dakqut, Jebel Al-Qamar Range, Dhofar Governorate, Oman
81356

130425