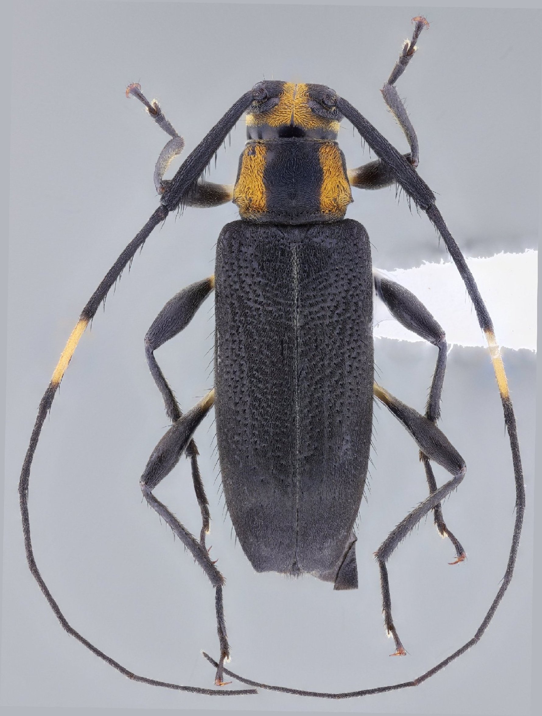
 Heff Nasc SS TAMU Hwy 10, La Quijada del Diablo, Chiriqui, Panama.jpg)
Specimen Type: holotype Sex: f Institution: TAMU Texas A & M University, College Station, Texas, USA Photographer: Antonio Santos-Silva Collection Location: Hwy 10, La Quijada del Diablo, Chiriqui, Panama 95326
|
 Heff Nasc SS TAMU Hwy 10, La Quijada del Diablo, Chiriqui, Panama.jpg)
Specimen Type: holotype Sex: f Institution: TAMU Texas A & M University, College Station, Texas, USA Photographer: Antonio Santos-Silva Collection Location: Hwy 10, La Quijada del Diablo, Chiriqui, Panama 95327
|
 Heff Nasc SS TAMU Hwy 10, La Quijada del Diablo, Chiriqui, Panama.jpg)
Specimen Type: holotype Sex: f Institution: TAMU Texas A & M University, College Station, Texas, USA Photographer: Antonio Santos-Silva Collection Location: Hwy 10, La Quijada del Diablo, Chiriqui, Panama 95328
|
 Heff Nasc SS TAMU Hwy 10, La Quijada del Diablo, Chiriqui, Panama.jpg)
Specimen Type: holotype Sex: f Institution: TAMU Texas A & M University, College Station, Texas, USA Photographer: Antonio Santos-Silva Collection Location: Hwy 10, La Quijada del Diablo, Chiriqui, Panama 95329
|
|