 Nasc Bot SS INPA Uiramuta, Serro do Sol, Roraima, Brazil SS.jpg)
Specimen Type: holotype Sex: f Institution: INPA Instituto Nacional de Pesquisas da Amazonia, Manaus, Brazil Photographer: Antonio Santos-Silva Collection Location: Uiramuta, Serro do Sol, Roraima, Brazil 95303
|
 Nasc Bot SS INPA Uiramuta, Serro do Sol, Roraima, Brazil SS.jpg)
Specimen Type: holotype Sex: f Institution: INPA Instituto Nacional de Pesquisas da Amazonia, Manaus, Brazil Photographer: Antonio Santos-Silva Collection Location: Uiramuta, Serro do Sol, Roraima, Brazil 95304
|
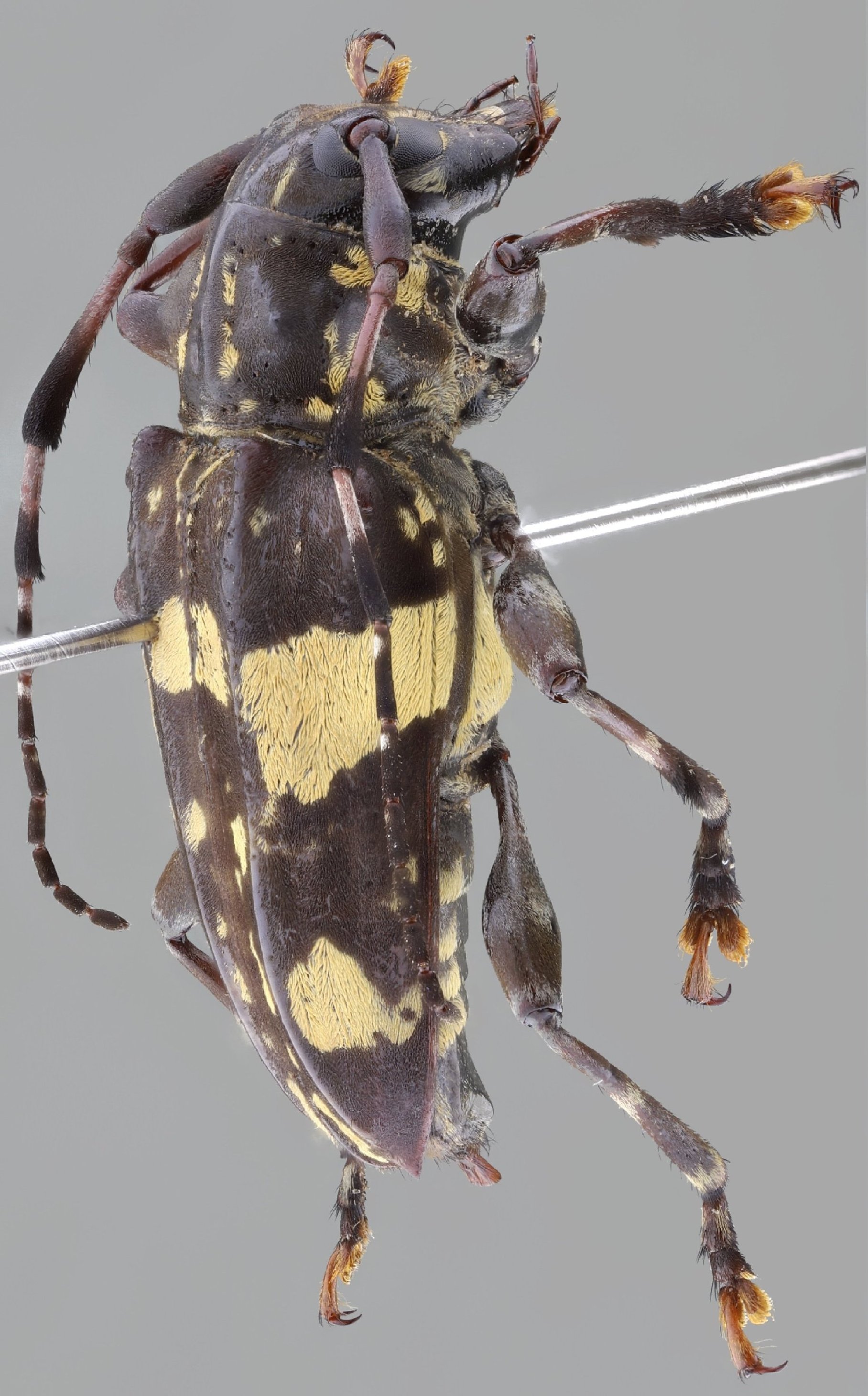
 Nasc Bot SS INPA Uiramuta, Serro do Sol, Roraima, Brazil SS.jpg)
Specimen Type: holotype Sex: f Institution: INPA Instituto Nacional de Pesquisas da Amazonia, Manaus, Brazil Photographer: Antonio Santos-Silva Collection Location: Uiramuta, Serro do Sol, Roraima, Brazil 95305
|
 Nasc Bot SS INPA Uiramuta, Serro do Sol, Roraima, Brazil SS.jpg)
Specimen Type: holotype Sex: f Institution: INPA Instituto Nacional de Pesquisas da Amazonia, Manaus, Brazil Photographer: Antonio Santos-Silva Collection Location: Uiramuta, Serro do Sol, Roraima, Brazil 95306
|
 Nasc Bot SS INPA Uiramuta, Serro do Sol, Roraima, Brazil SS.jpg)
Specimen Type: paratype Sex: f Institution: INPA Instituto Nacional de Pesquisas da Amazonia, Manaus, Brazil Photographer: Antonio Santos-Silva Collection Location: Uiramuta, Serro do Sol, Roraima, Brazil 95307
|
|