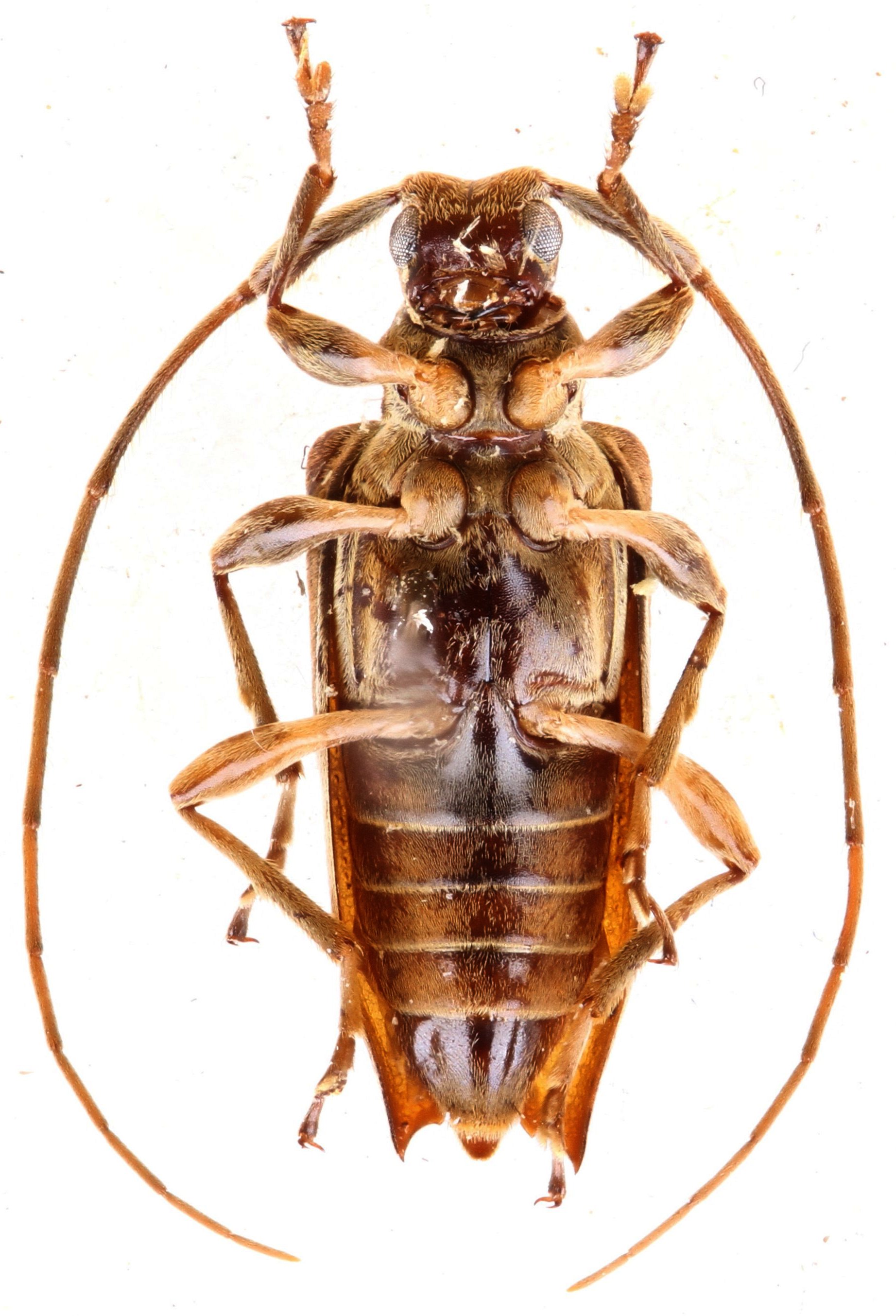
 Audureau coll Bezark Cerro Punta, Chiriqui, Panama.jpg)
Specimen Type: holotype Sex: f Institution: Audureau Collection Photographer: Alain Audureau Collection Location: Cerro Punta, Chiriqui, Panama 95181
|
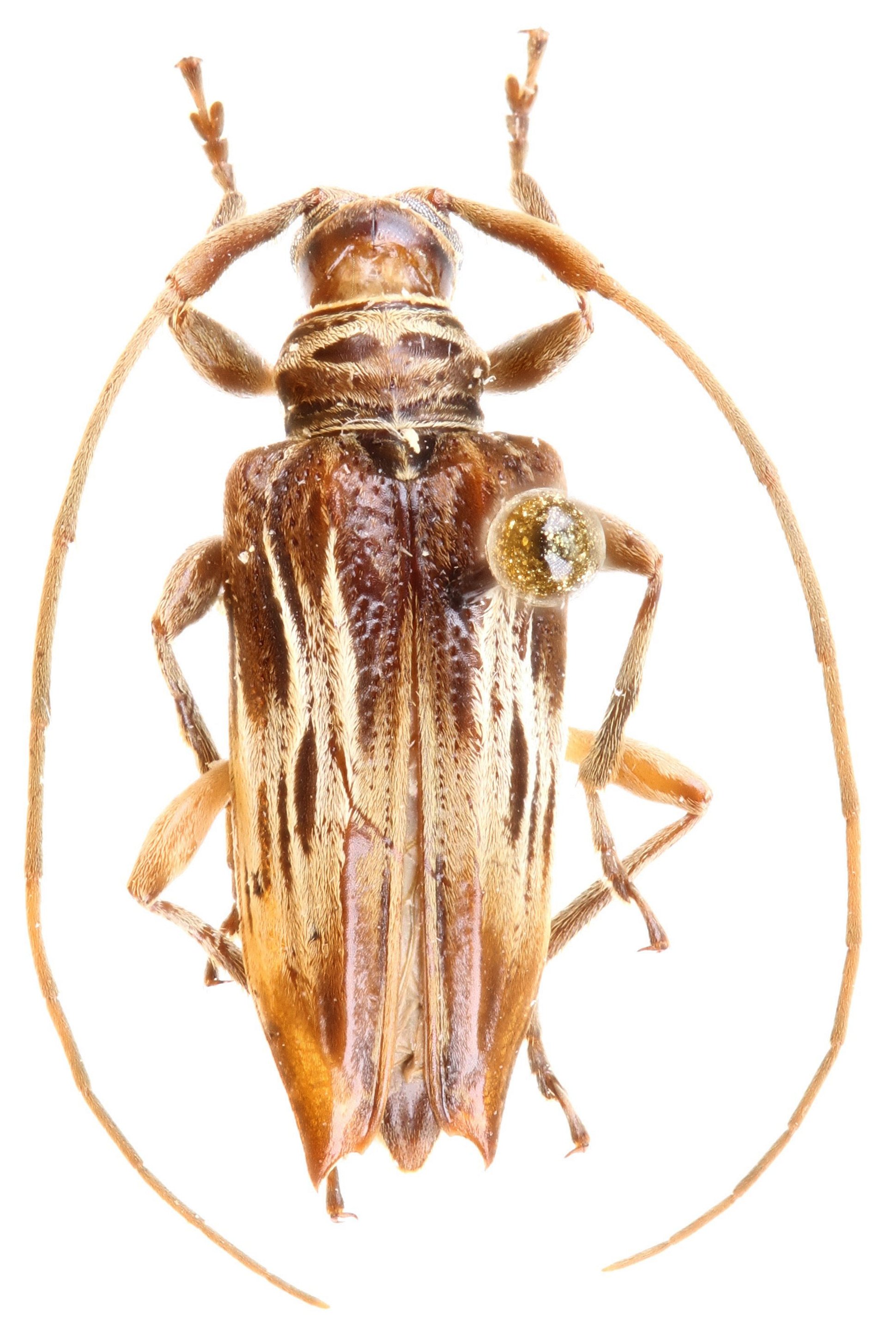
 Audureau coll Bezark Cerro Punta, Chiriqui, Panama.jpg)
Specimen Type: holotype Sex: f Institution: Audureau Collection Photographer: Alain Audureau Collection Location: Cerro Punta, Chiriqui, Panama 95182
|
 Audureau coll Bezark Cerro Punta, Chiriqui, Panama.jpg)
Specimen Type: holotype Sex: f Institution: Audureau Collection Photographer: Alain Audureau Collection Location: Cerro Punta, Chiriqui, Panama 95183
|
 Audureau coll Bezark Cerro Punta, Chiriqui, Panama.jpg)
Specimen Type: holotype Sex: f Institution: Audureau Collection Photographer: Alain Audureau Collection Location: Cerro Punta, Chiriqui, Panama 95184
|
 Audureau coll Bezark Cerro Punta, Chiriqui, Panama.jpg)
Specimen Type: holotype Sex: f Institution: Audureau Collection Photographer: Alain Audureau Collection Location: Cerro Punta, Chiriqui, Panama 95185
|
|