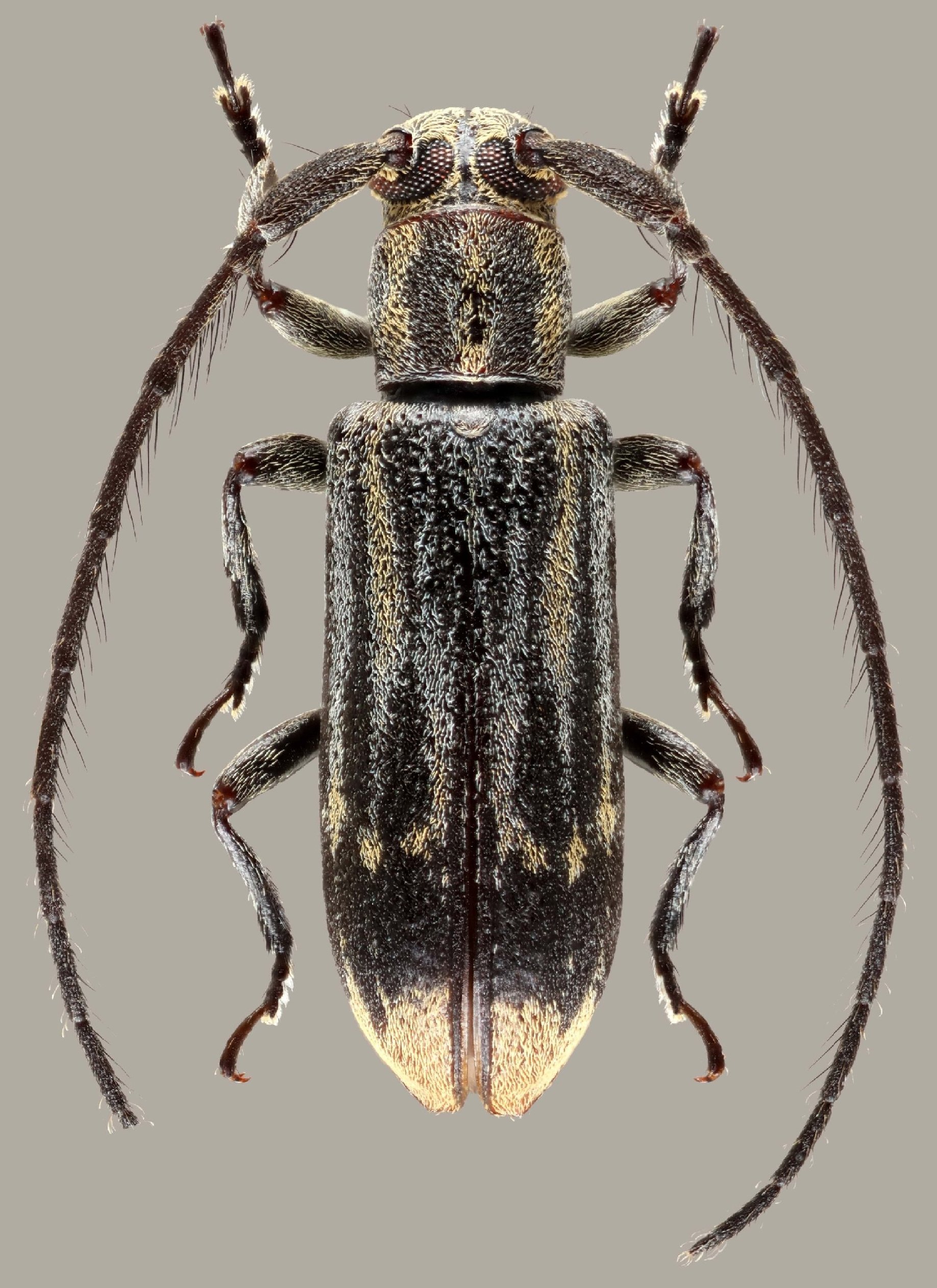
 Robin Dalens MNHN CD6 pk7 route de Stoupan, Matoury, French Guiana.jpg)
Specimen Type: holotype Sex: f Institution: MNHN Museum of Natural History Paris, France Photographer: Frédéric Robin Collection Location: CD6 pk7 route de Stoupan, Matoury, French Guiana 91024
|
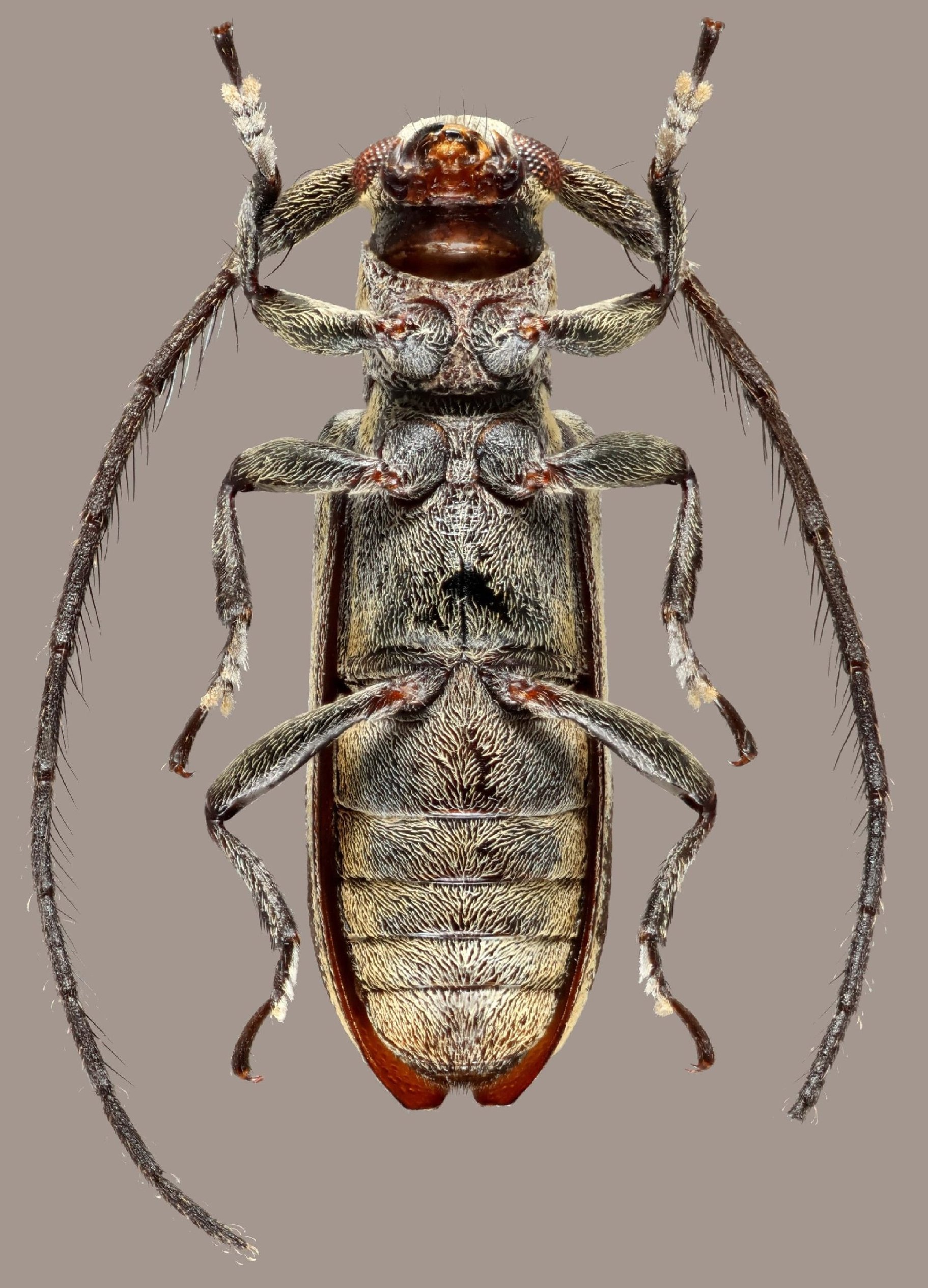
 Robin Dalens MNHN CD6 pk7 route de Stoupan, Matoury, French Guiana.jpg)
Specimen Type: holotype Sex: f Institution: MNHN Museum of Natural History Paris, France Photographer: Frédéric Robin Collection Location: CD6 pk7 route de Stoupan, Matoury, French Guiana 91025
|
 Robin Dalens MNHN CD6 pk7 route de Stoupan, Matoury, French Guiana.jpg)
Specimen Type: holotype Sex: f Institution: MNHN Museum of Natural History Paris, France Photographer: Frédéric Robin Collection Location: CD6 pk7 route de Stoupan, Matoury, French Guiana 91026
|
 Robin Dalens MNHN CD6 pk7 route de Stoupan, Matoury, French Guiana.jpg)
Specimen Type: holotype Sex: f Institution: MNHN Museum of Natural History Paris, France Photographer: Frédéric Robin Collection Location: CD6 pk7 route de Stoupan, Matoury, French Guiana 91027
|
|