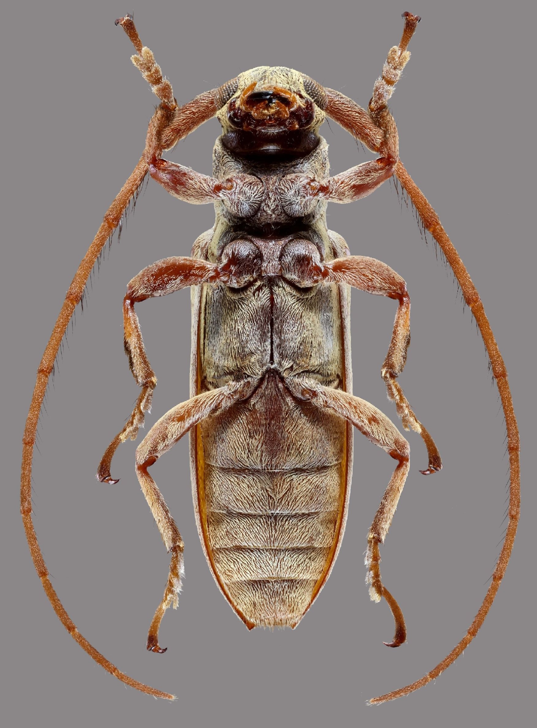
 Robin Dalens MNHN Canceler Creek, Sinnamary, French Guiana.jpg)
Specimen Type: holotype Sex: f Institution: MNHN Museum of Natural History Paris, France Photographer: Frédéric Robin Collection Location: Canceler Creek, Sinnamary, French Guiana 91020
|
 Robin Dalens MNHN Canceler Creek, Sinnamary, French Guiana.jpg)
Specimen Type: holotype Sex: f Institution: MNHN Museum of Natural History Paris, France Photographer: Frédéric Robin Collection Location: Canceler Creek, Sinnamary, French Guiana 91021
|
 Robin Dalens MNHN Canceler Creek, Sinnamary, French Guiana.jpg)
Specimen Type: holotype Sex: f Institution: MNHN Museum of Natural History Paris, France Photographer: Frédéric Robin Collection Location: Canceler Creek, Sinnamary, French Guiana 91022
|
 Robin Dalens MNHN Canceler Creek, Sinnamary, French Guiana.jpg)
Specimen Type: holotype Sex: f Institution: MNHN Museum of Natural History Paris, France Photographer: Frédéric Robin Collection Location: Canceler Creek, Sinnamary, French Guiana 91023
|
|