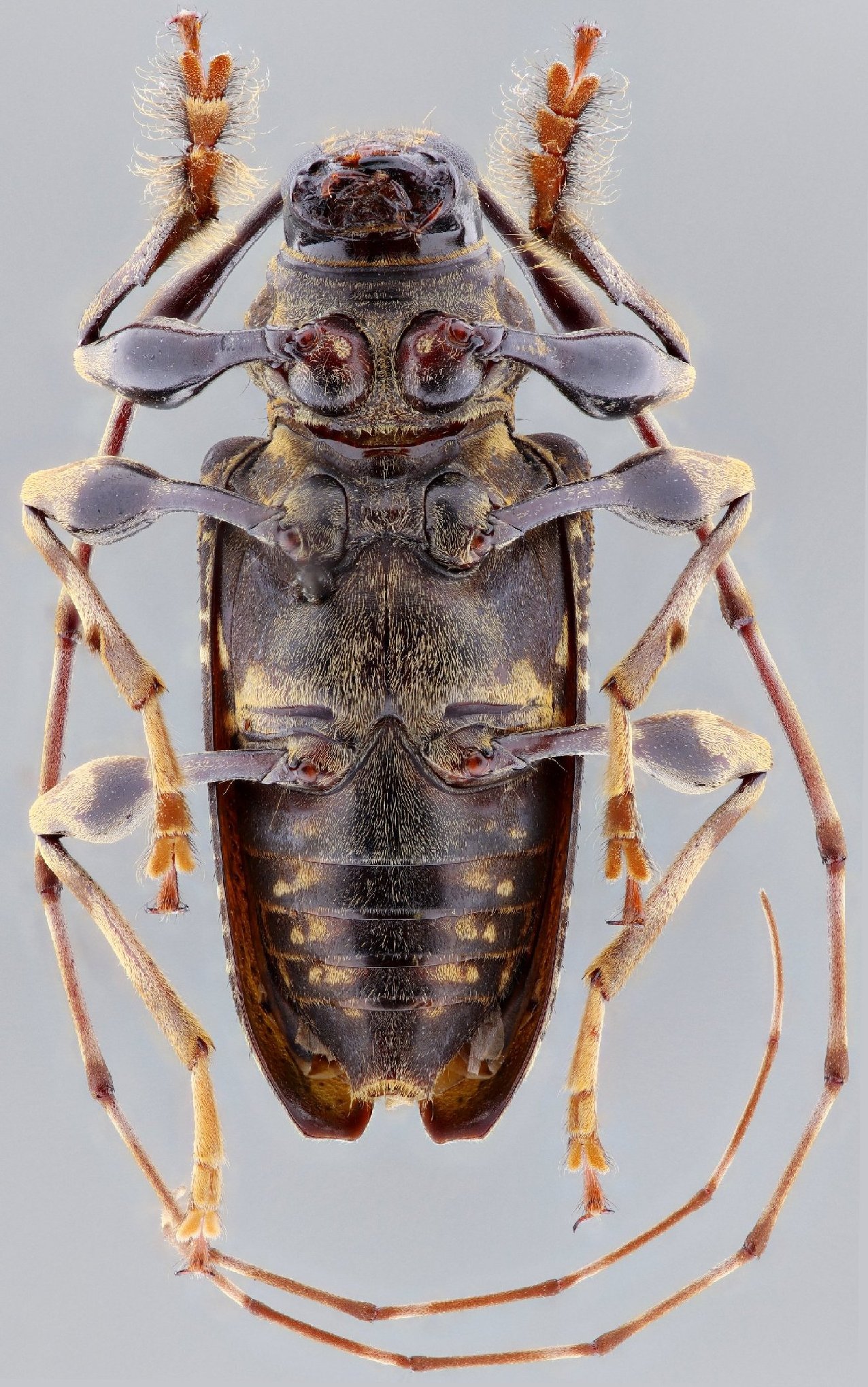
 Heff SS TAMU Fortuna Cabins, Bocas del Toro, Panama.jpg)
Specimen Type: holotype Sex: m Institution: TAMU Texas A & M University, College Station, Texas, USA Photographer: Antonio Santos-Silva Collection Location: Fortuna Cabins, Bocas del Toro, Panama 90852
|
 Heff SS TAMU Fortuna Cabins, Bocas del Toro, Panama.jpg)
Specimen Type: holotype Sex: m Institution: TAMU Texas A & M University, College Station, Texas, USA Photographer: Antonio Santos-Silva Collection Location: Fortuna Cabins, Bocas del Toro, Panama 90853
|
 Heff SS TAMU Fortuna Cabins, Bocas del Toro, Panama.jpg)
Specimen Type: holotype Sex: m Institution: TAMU Texas A & M University, College Station, Texas, USA Photographer: Antonio Santos-Silva Collection Location: Fortuna Cabins, Bocas del Toro, Panama 90854
|
 Heff SS TAMU Fortuna Cabins, Bocas del Toro, Panama.jpg)
Specimen Type: holotype Sex: m Institution: TAMU Texas A & M University, College Station, Texas, USA Photographer: Antonio Santos-Silva Collection Location: Fortuna Cabins, Bocas del Toro, Panama 90855
|
 Heff coll SS Fortuna Cabins, Bocas del Toro, Panama.jpg)
Specimen Type: paratype Sex: f Institution: Heffern Collection Photographer: Antonio Santos-Silva Collection Location: Fortuna Cabins, Bocas del Toro, Panama 90856
|
 Heff SS MZSP Fortuna Cabins, Bocas del Toro, Panama.jpg)
Specimen Type: paratype Sex: f Institution: Heffern Collection Photographer: Antonio Santos-Silva Collection Location: Fortuna Cabins, Bocas del Toro, Panama 90857
|
|