 Heff SS TAMU Las Lagunas Forest Reserve, Chiriqui, Panama.jpg)
Specimen Type: holotype Sex: f Institution: TAMU Texas A & M University, College Station, Texas, USA Photographer: Antonio Santos-Silva Collection Location: Las Lagunas Forest Reserve, Chiriqui, Panama 90844
|
 Heff SS TAMU Las Lagunas Forest Reserve, Chiriqui, Panama.jpg)
Specimen Type: holotype Sex: f Institution: TAMU Texas A & M University, College Station, Texas, USA Photographer: Antonio Santos-Silva Collection Location: Las Lagunas Forest Reserve, Chiriqui, Panama 90845
|
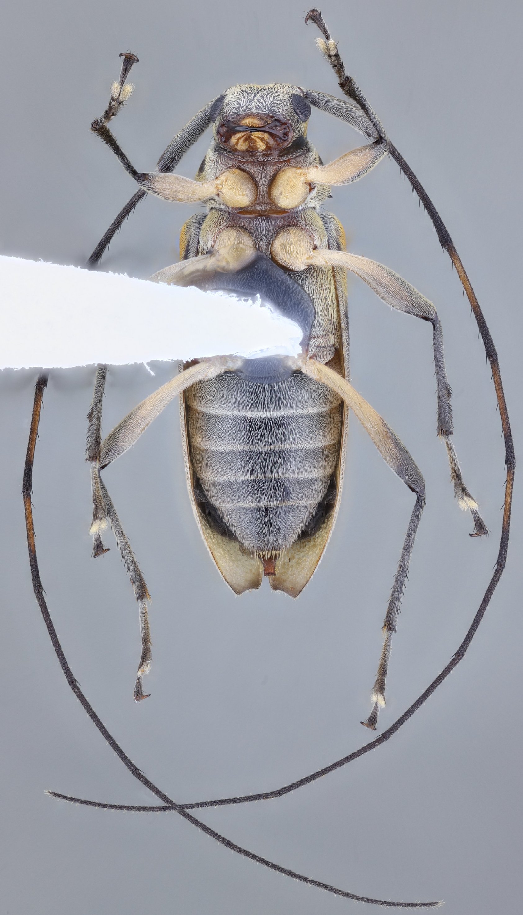
 Heff SS TAMU Las Lagunas Forest Reserve, Chiriqui, Panama.jpg)
Specimen Type: holotype Sex: f Institution: TAMU Texas A & M University, College Station, Texas, USA Photographer: Antonio Santos-Silva Collection Location: Las Lagunas Forest Reserve, Chiriqui, Panama 90846
|
 Heff SS TAMU Las Lagunas Forest Reserve, Chiriqui, Panama.jpg)
Specimen Type: holotype Sex: f Institution: TAMU Texas A & M University, College Station, Texas, USA Photographer: Antonio Santos-Silva Collection Location: Las Lagunas Forest Reserve, Chiriqui, Panama 90847
|
 Heff SS LGBC 6 km SE Santa Elena, Puntarenas CR.jpg)
Specimen Type: paratype Sex: m Institution: LGBC Larry G. Bezark Collection, Sacramento, California, USA Photographer: Larry G. Bezark Collection Location: 6 km SE Santa Elena, Puntarenas Costa Rica 91042
|
|