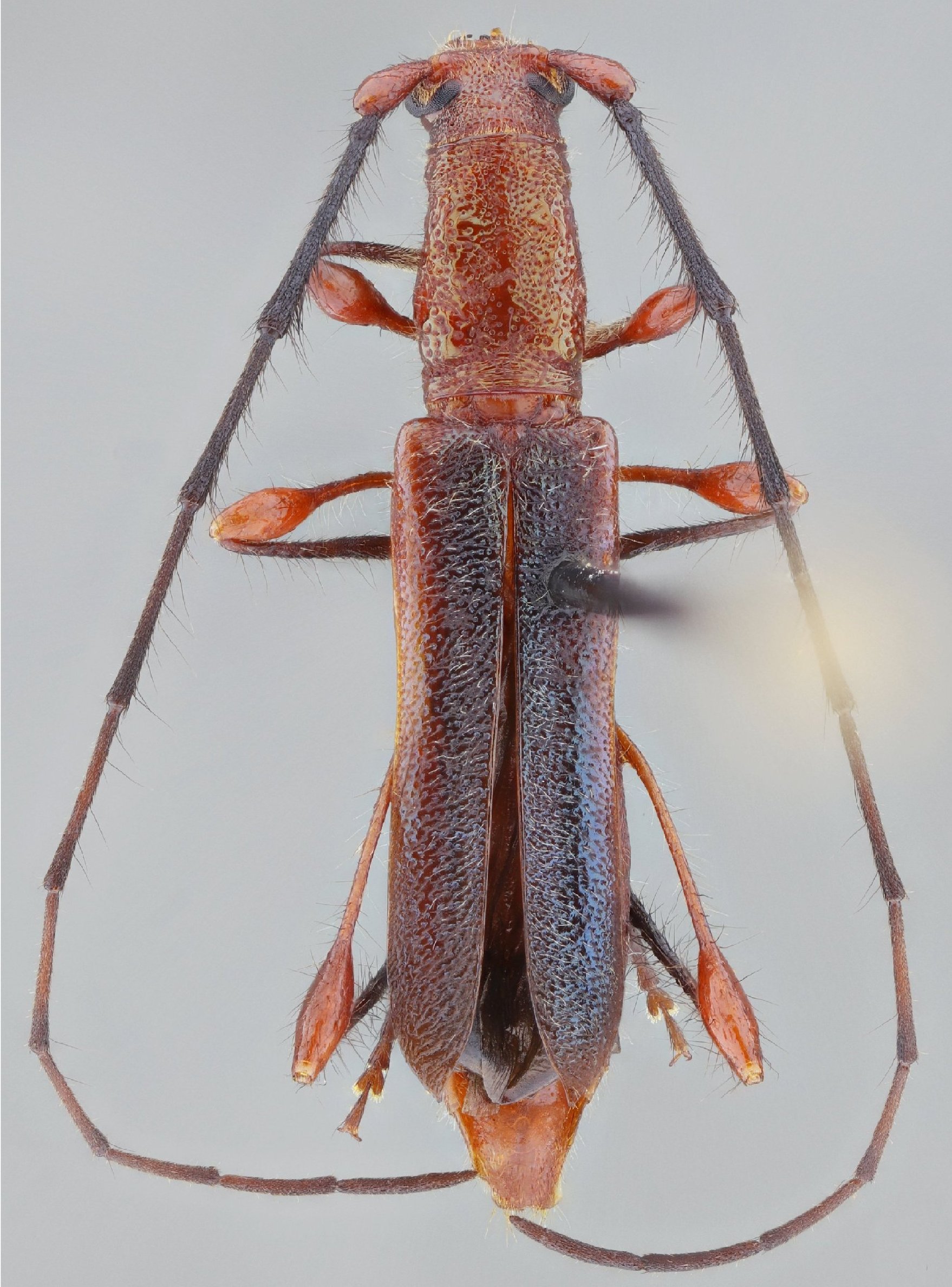
 SS Tava MNKM Rd to Itai, 83 km N Camiri, SC Bolivia.jpg)
Specimen Type: holotype Sex: m Institution: MNKM Museo de Hist Nat Noel Kempff Mercado Santa Cruz de la Sierra, Bolivia Photographer: Antonio Santos-Silva Collection Location: Rd to Itai, 83 km N Camiri, Santa Cruz, Bolivia 90807
|
 SS Tava MNKM Rd to Itai, 83 km N Camiri, SC Bolivia.jpg)
Specimen Type: holotype Sex: m Institution: MNKM Museo de Hist Nat Noel Kempff Mercado Santa Cruz de la Sierra, Bolivia Photographer: Antonio Santos-Silva Collection Location: Rd to Itai, 83 km N Camiri, Santa Cruz, Bolivia 90808
|
 SS Tava MNKM Rd to Itai, 83 km N Camiri, SC Bolivia.jpg)
Specimen Type: holotype Sex: m Institution: MNKM Museo de Hist Nat Noel Kempff Mercado Santa Cruz de la Sierra, Bolivia Photographer: Antonio Santos-Silva Collection Location: Rd to Itai, 83 km N Camiri, Santa Cruz, Bolivia 90809
|
 SS Tava MNKM Rd to Itai, 83 km N Camiri, SC Bolivia.jpg)
Specimen Type: holotype Sex: m Institution: MNKM Museo de Hist Nat Noel Kempff Mercado Santa Cruz de la Sierra, Bolivia Photographer: Antonio Santos-Silva Collection Location: Rd to Itai, 83 km N Camiri, Santa Cruz, Bolivia 90810
|
 SS Tava FSCA Tarija, 3 mi W Villamontes, SC Bolivia.jpg)
Specimen Type: paratype Sex: f Institution: FSCA Florida State Collection of Arthropods, Gainesville, FL, USA Photographer: Antonio Santos-Silva Collection Location: Tarija, 3 mi W Villamontes, Santa Cruz, Bolivia 90811
|
 SS Tava FSCA Tarija, 3 mi W Villamontes, SC Bolivia.jpg)
Specimen Type: paratype Sex: f Institution: FSCA Florida State Collection of Arthropods, Gainesville, FL, USA Photographer: Antonio Santos-Silva Collection Location: Tarija, 3 mi W Villamontes, Santa Cruz, Bolivia 90812
|
|