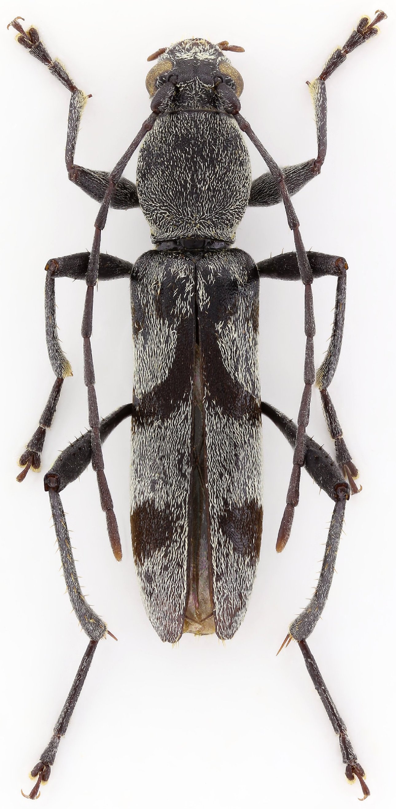
 Viktora coll 11km SE Kotagiri, Nilgiri Hills, Tamil Nadu, India.jpg)
Specimen Type: holotype Sex: m Institution: Viktora Collection Photographer: Petr Viktora Collection Location: 11km SE Kotagiri, Nilgiri Hills, Tamil Nadu, India 90733
|
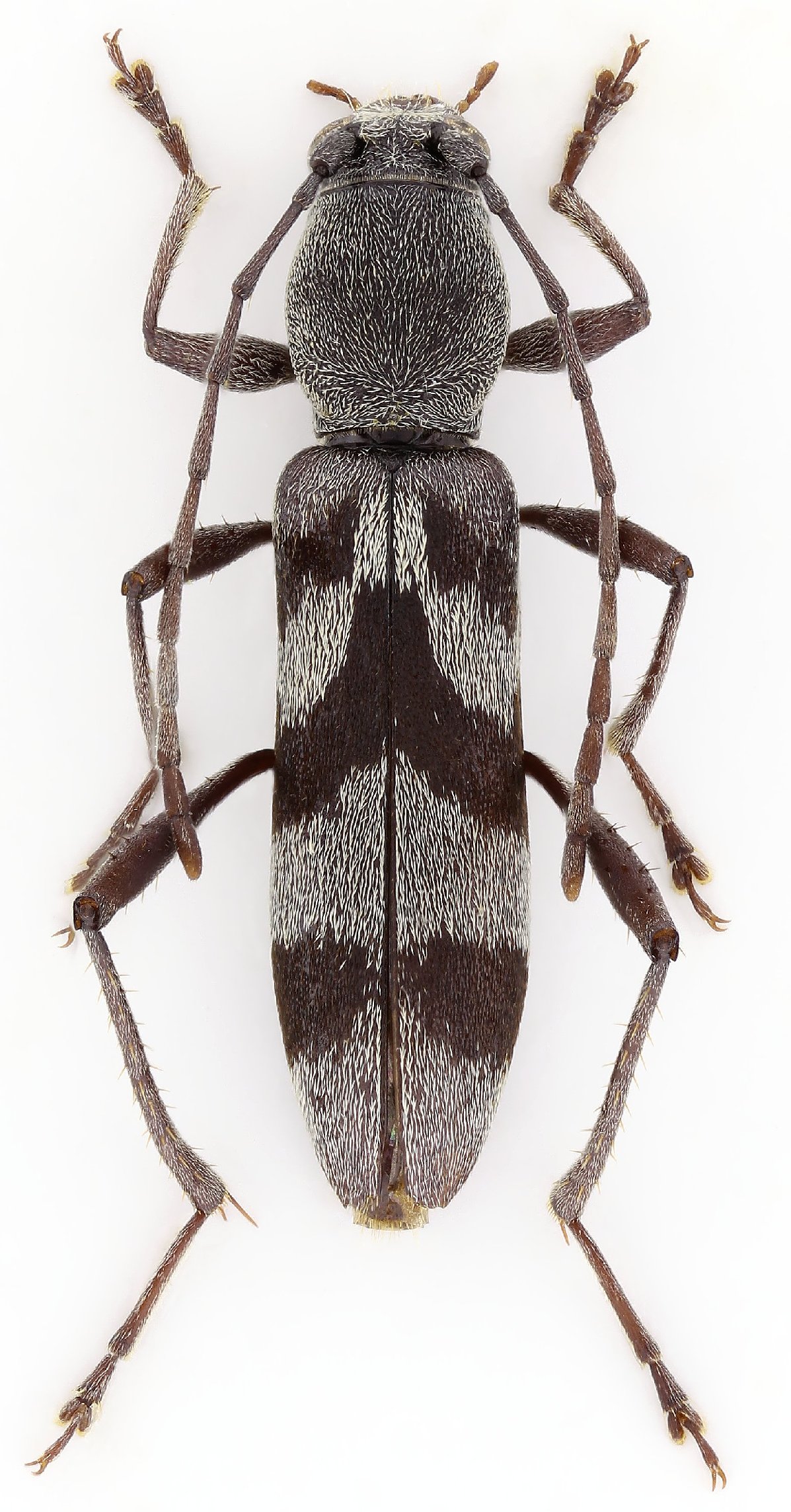
 Viktora coll 15km SE Kotagiri, Kunchappanai, Nilgiri Hills, Tamil Nadu, India.jpg)
Specimen Type: paratype Sex: f Institution: Viktora Collection Photographer: Petr Viktora Collection Location: 15km SE Kotagiri, Kunchappanai, Nilgiri Hills, Tamil Nadu, India 90734
|