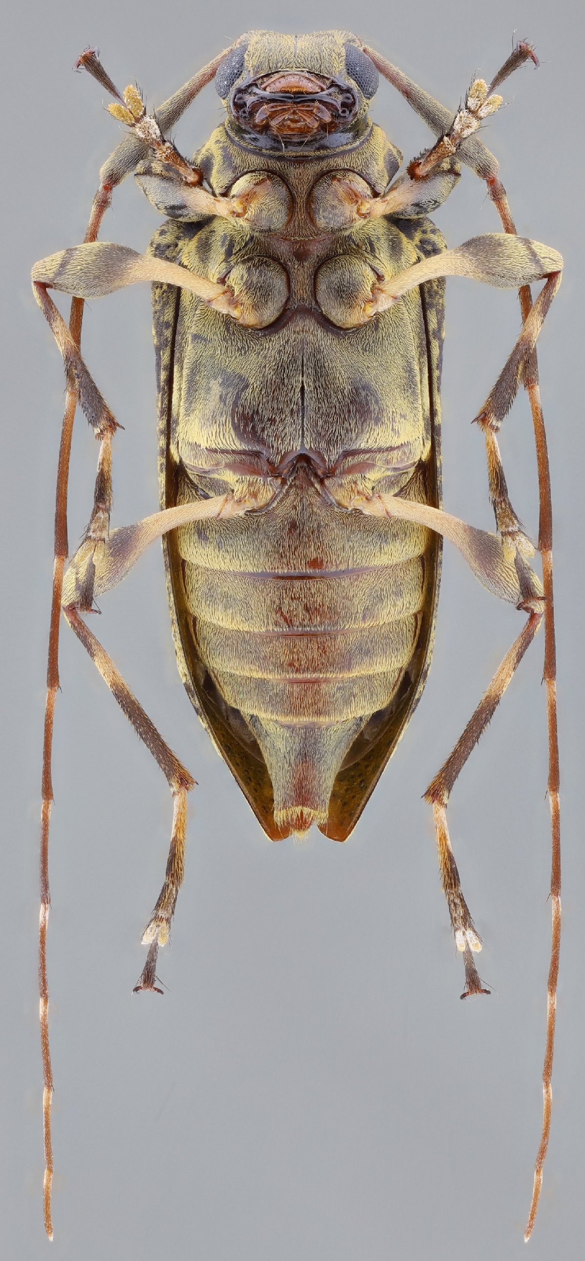
 Vlas SS MZSP Cosanga, Napo, Ecuador SS.jpg)
Specimen Type: holotype Sex: f Institution: MZSP Museu de Zoologia da Universidade de São Paulo, Brazil Photographer: Antonio Santos-Silva Collection Location: Cosanga, Napo, Ecuador 90696
|
 Vlas SS MZSP Cosanga, Napo, Ecuador SS.jpg)
Specimen Type: holotype Sex: f Institution: MZSP Museu de Zoologia da Universidade de São Paulo, Brazil Photographer: Antonio Santos-Silva Collection Location: Cosanga, Napo, Ecuador 90697
|
 Vlas SS MZSP Cosanga, Napo, Ecuador SS.jpg)
Specimen Type: holotype Sex: f Institution: MZSP Museu de Zoologia da Universidade de São Paulo, Brazil Photographer: Antonio Santos-Silva Collection Location: Cosanga, Napo, Ecuador 90698
|
 Vlas SS MZSP Cosanga, Napo, Ecuador SS.jpg)
Specimen Type: holotype Sex: f Institution: MZSP Museu de Zoologia da Universidade de São Paulo, Brazil Photographer: Antonio Santos-Silva Collection Location: Cosanga, Napo, Ecuador 90699
|
 Vlas coll SS Cosanga, Napo, Ecuador Vlas.jpg)
Specimen Type: paratype Sex: f Institution: Vlasak Collection Photographer: Josef Vlasak Collection Location: Cosanga, Napo, Ecuador 90700
|
 Vlas coll SS Cosanga, Napo, Ecuador Vlas.jpg)
Specimen Type: paratype Sex: f Institution: Vlasak Collection Photographer: Josef Vlasak Collection Location: Cosanga, Napo, Ecuador 90701
|
|