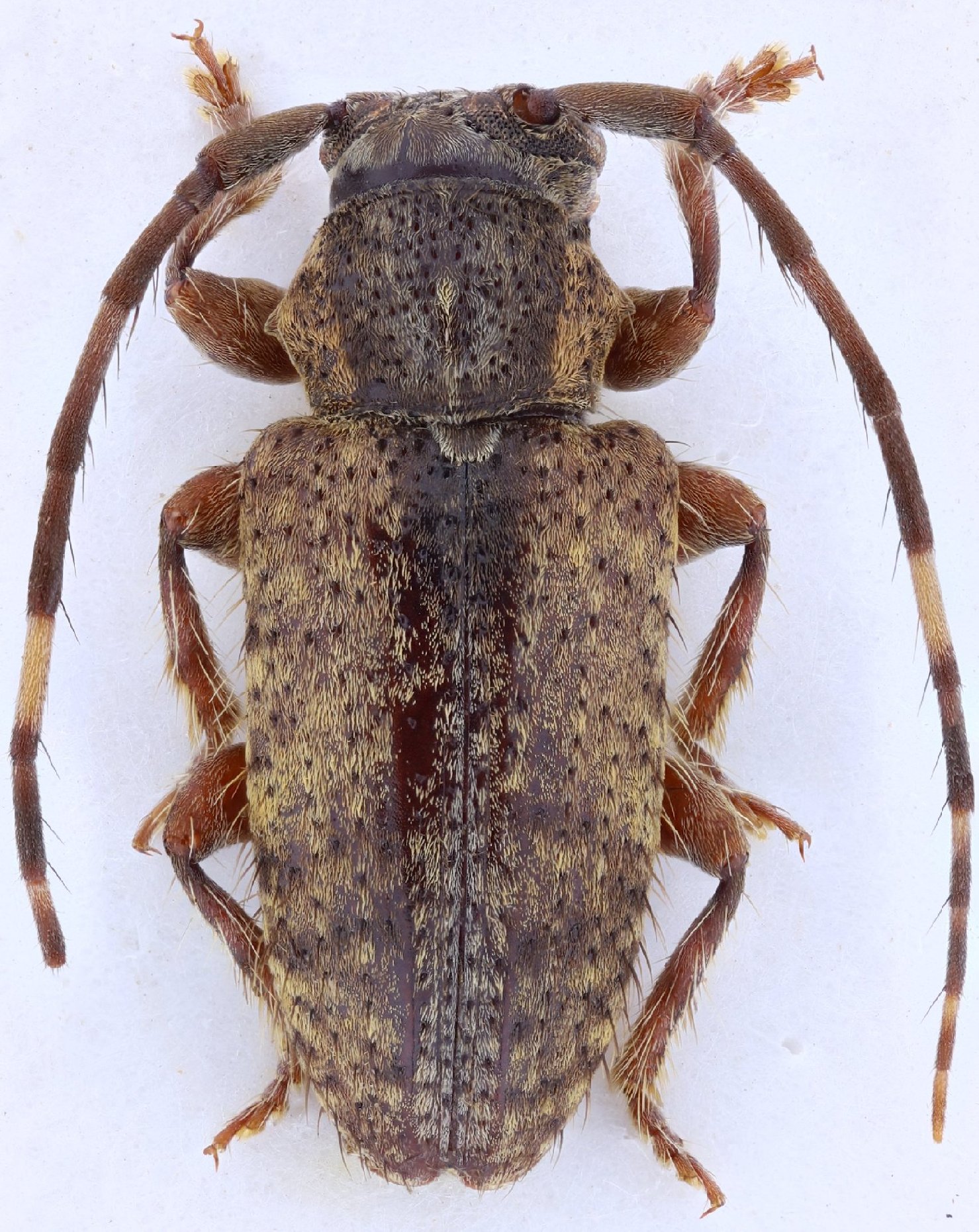
 Bez SS MZSP Monte Branco, Rio Trombetes, Para, Brazil SS.jpg)
Specimen Type: holotype Sex: f Institution: MZSP Museu de Zoologia da Universidade de São Paulo, Brazil Photographer: Antonio Santos-Silva Collection Location: Monte Branco, Rio Trombetes, Para, Brazil 90666
|
 Bez SS MZSP Monte Branco, Rio Trombetes, Para, Brazil SS.jpg)
Specimen Type: holotype Sex: f Institution: MZSP Museu de Zoologia da Universidade de São Paulo, Brazil Photographer: Antonio Santos-Silva Collection Location: Monte Branco, Rio Trombetes, Para, Brazil 90667
|
 Bez SS MZSP Monte Branco, Rio Trombetes, Para, Brazil SS.jpg)
Specimen Type: holotype Sex: f Institution: MZSP Museu de Zoologia da Universidade de São Paulo, Brazil Photographer: Antonio Santos-Silva Collection Location: Monte Branco, Rio Trombetes, Para, Brazil 90668
|
 Bez SS MZSP Monte Branco, Rio Trombetes, Para, Brazil SS.jpg)
Specimen Type: holotype Sex: f Institution: MZSP Museu de Zoologia da Universidade de São Paulo, Brazil Photographer: Antonio Santos-Silva Collection Location: Monte Branco, Rio Trombetes, Para, Brazil 90669
|
 Bez coll SS Le Galion, French Guiana SS.jpg)
Specimen Type: paratype Sex: f Institution: Bezark Collection Photographer: Antonio Santos-Silva Collection Location: Le Galion, French Guiana 90670
|
 Bez coll SS RN2, pk 125, French Guiana SS.jpg)
Specimen Type: paratype Sex: f Institution: Bezark Collection Photographer: Antonio Santos-Silva Collection Location: RN2, pk 125, French Guiana 90671
|
|