 Bez SS CASC 18.5 km N Gonzanama, Loja, Ecuador SS.jpg)
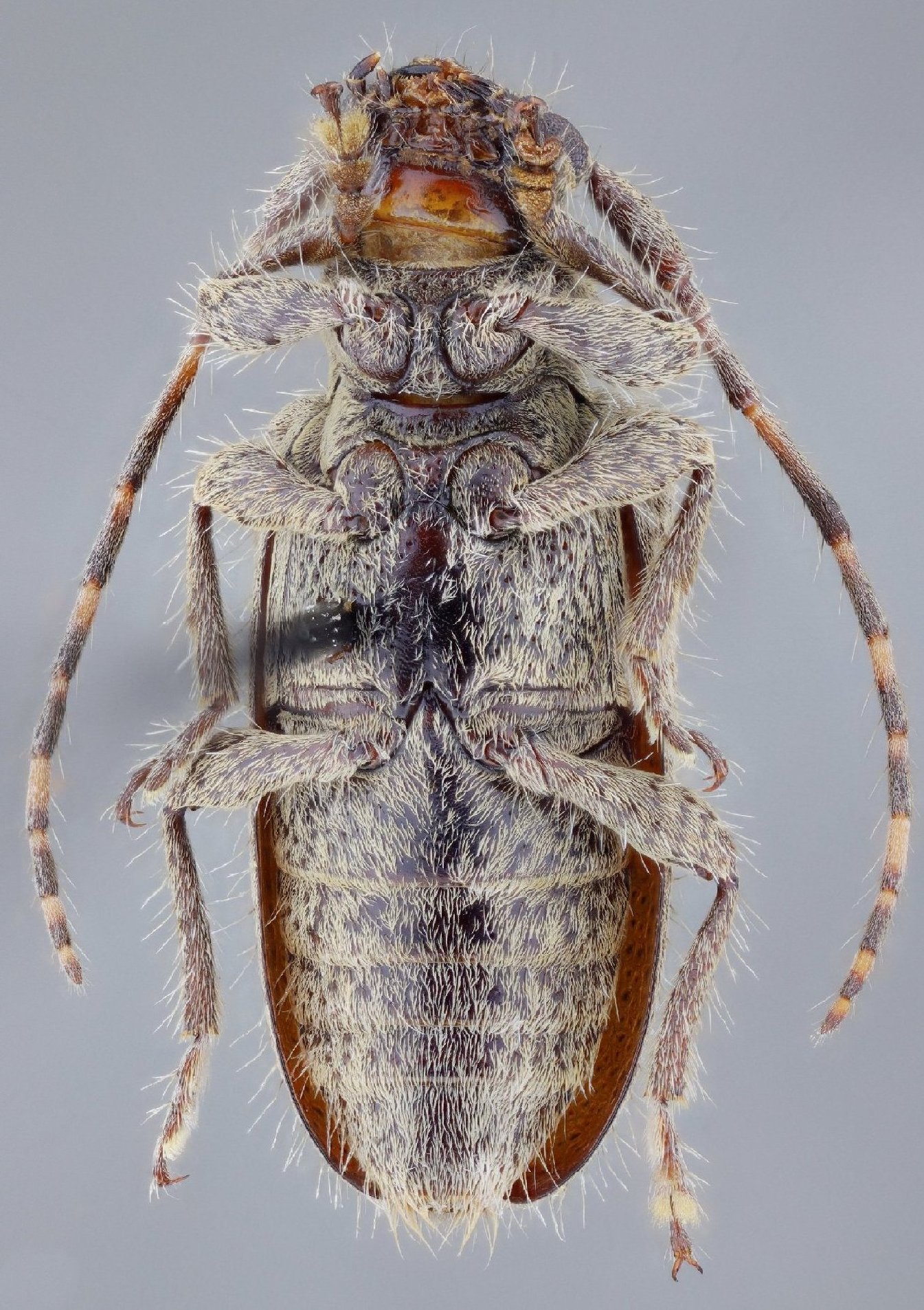
Specimen Type: holotype Sex: f Institution: CAS California Academy of Sciences, San Francisco, CA, USA Photographer: Antonio Santos-Silva Collection Location: 18.5 km N Gonzanama, Loja, Ecuador 90662
|
 Bez SS CASC 18.5 km N Gonzanama, Loja, Ecuador SS.jpg)
Specimen Type: holotype Sex: f Institution: CAS California Academy of Sciences, San Francisco, CA, USA Photographer: Antonio Santos-Silva Collection Location: 18.5 km N Gonzanama, Loja, Ecuador 90663
|
 Bez SS CASC 18.5 km N Gonzanama, Loja, Ecuador SS.jpg)
Specimen Type: holotype Sex: f Institution: CAS California Academy of Sciences, San Francisco, CA, USA Photographer: Antonio Santos-Silva Collection Location: 18.5 km N Gonzanama, Loja, Ecuador 90664
|
 Bez SS CASC 18.5 km N Gonzanama, Loja, Ecuador SS.jpg)
Specimen Type: holotype Sex: f Institution: CAS California Academy of Sciences, San Francisco, CA, USA Photographer: Antonio Santos-Silva Collection Location: 18.5 km N Gonzanama, Loja, Ecuador 90665
|
|