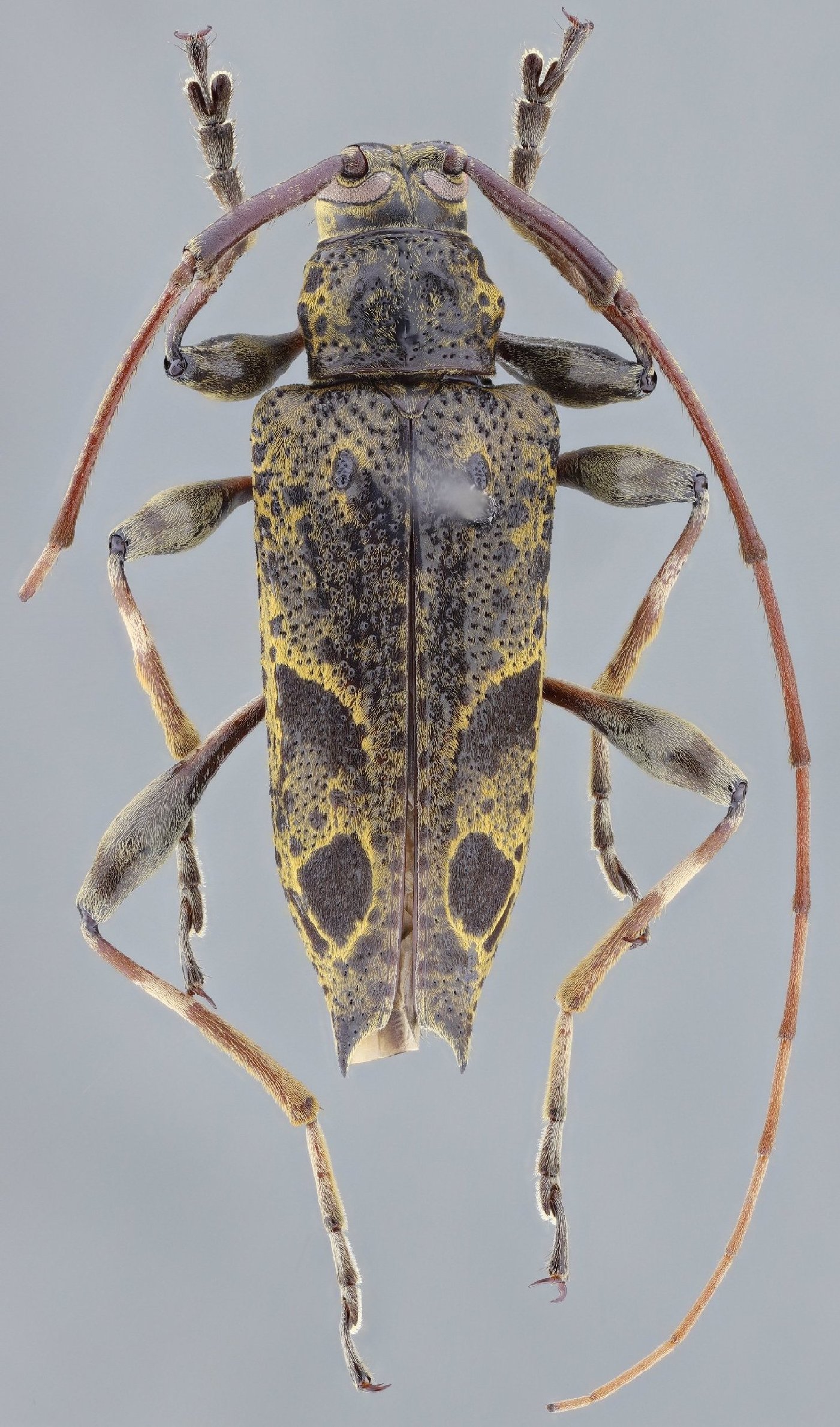
 SS Bot USNM Monteverde Biol Stat, Puntarenas, Costa Rica SS.jpg)
Specimen Type: holotype Sex: m Institution: USNM United States National Museum, Washington, DC, USA Photographer: Antonio Santos-Silva Collection Location: Monteverde Biological Station, Puntarenas, Costa Rica 90645
|
 SS Bot USNM Monteverde Biol Stat, Puntarenas, Costa Rica SS.jpg)
Specimen Type: holotype Sex: m Institution: USNM United States National Museum, Washington, DC, USA Photographer: Antonio Santos-Silva Collection Location: Monteverde Biological Station, Puntarenas, Costa Rica 90646
|
 SS Bot USNM Monteverde Biol Stat, Puntarenas, Costa Rica SS.jpg)
Specimen Type: holotype Sex: m Institution: USNM United States National Museum, Washington, DC, USA Photographer: Antonio Santos-Silva Collection Location: Monteverde Biological Station, Puntarenas, Costa Rica 90647
|
 SS Bot USNM Monteverde Biol Stat, Puntarenas, Costa Rica SS.jpg)
Specimen Type: holotype Sex: m Institution: USNM United States National Museum, Washington, DC, USA Photographer: Antonio Santos-Silva Collection Location: Monteverde Biological Station, Puntarenas, Costa Rica 90648
|
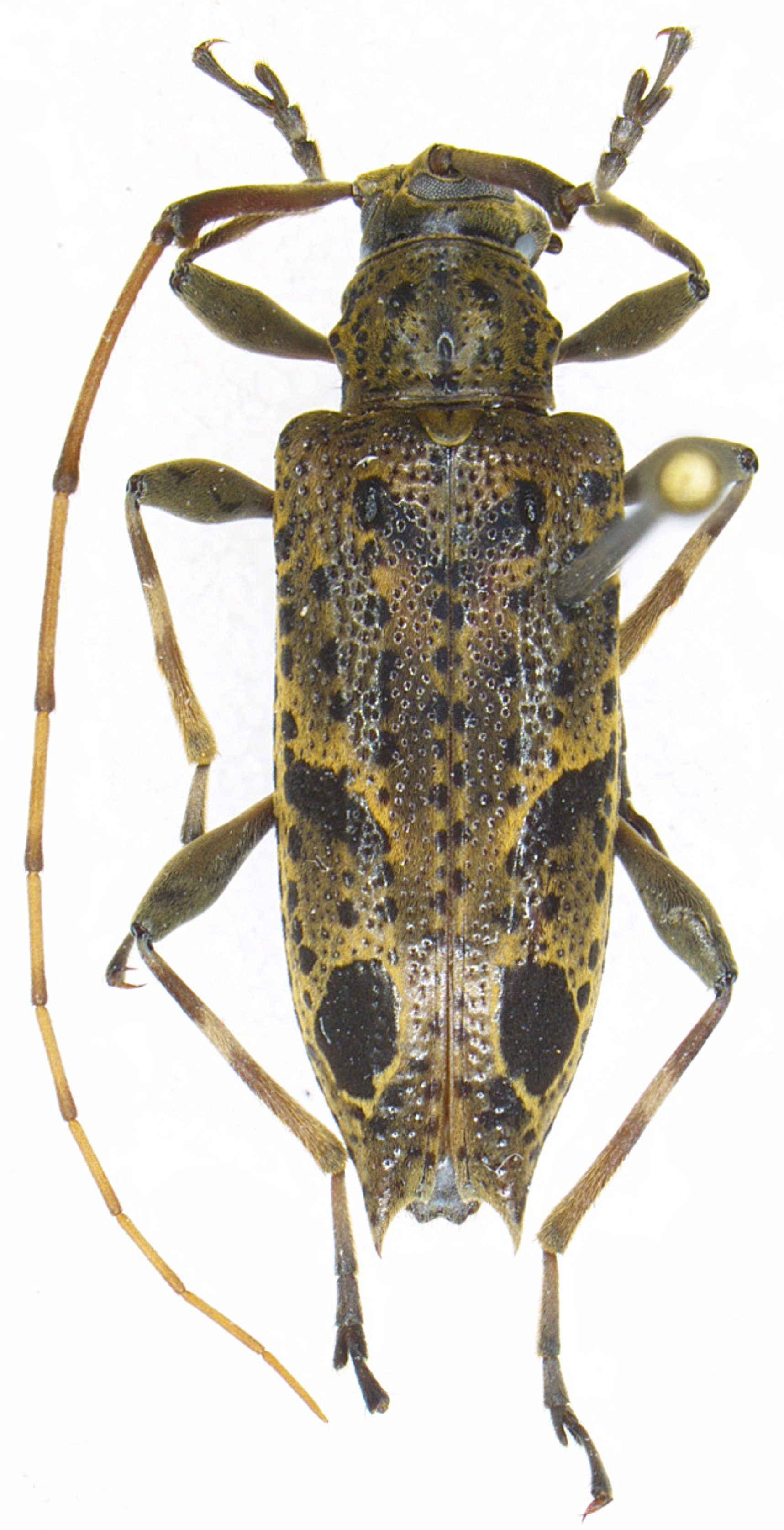
 SS Bot SWL coll Monteverde Cloud For Biol Preserve, Puntarenas, Costa Rica SWL.jpg)
Specimen Type: paratype Sex: f Institution: Lingafelter Collection Photographer: Steve Lingafelter Collection Location: Monteverde Cloud Forest Biological Preserve, Puntarenas, Costa Rica 90649
|
|