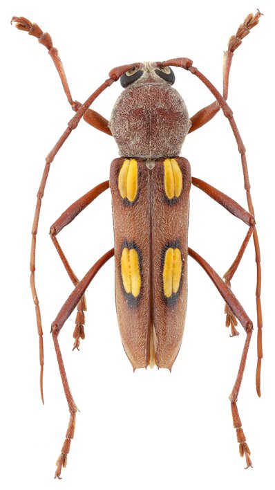
 Ling MCSN Oviedo, Jaragua NP, Pedernales, Dom Repub Pirkl pic.jpg)
Specimen Type: holotype Sex: m Institution: MCSNV Museum Cantonal des Sciences Naturelles (Zoology Department), Lausanne, Switzerland Photographer: Jiri Pirkl Collection Location: Oviedo, Jaragua National Park, Pedernales, Dominican Republic 90602
|
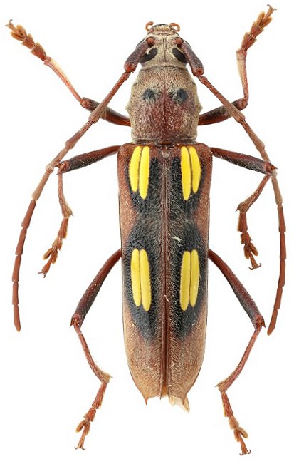
 Ling coll Oviedo, Jaragua NP, Pedernales, Dom Repub SWL pic.jpg)
Specimen Type: paratype Sex: m Institution: Lingafelter Collection Photographer: Steve Lingafelter Collection Location: Oviedo, Jaragua National Park, Pedernales, Dominican Republic 90603
|
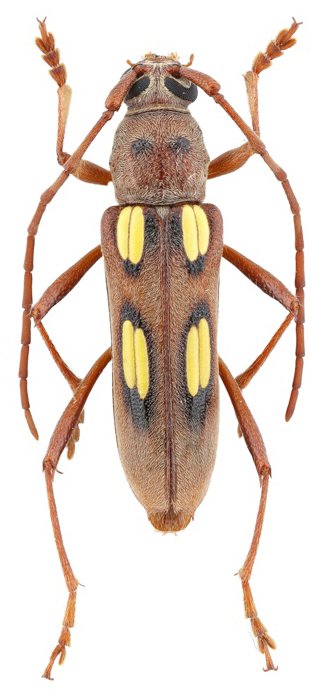
 Ling coll Oviedo, Jaragua NP, Pedernales, Dom Repub SWL pic.jpg)
Specimen Type: paratype Sex: f Institution: Lingafelter Collection Photographer: Steve Lingafelter Collection Location: Oviedo, Jaragua National Park, Pedernales, Dominican Republic 90604
|
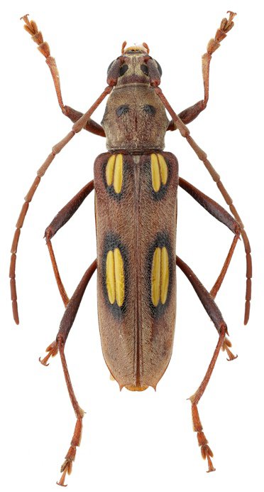
 Ling coll Oviedo, Jaragua NP, Pedernales, Dom Repub SWL pic.jpg)
Specimen Type: paratype Sex: f Institution: Lingafelter Collection Photographer: Steve Lingafelter Collection Location: Oviedo, Jaragua National Park, Pedernales, Dominican Republic 90605
|
 Ling coll Oviedo, Jaragua NP, Pedernales, Dom Repub SWL pic.jpg)
Specimen Type: paratype Sex: f Institution: Lingafelter Collection Photographer: Steve Lingafelter Collection Location: Oviedo, Jaragua National Park, Pedernales, Dominican Republic 90606
|
|