 Dalens Robin MNHN Mt Tabulaire de la Reserve de la Trinite, French Guiana.jpg)
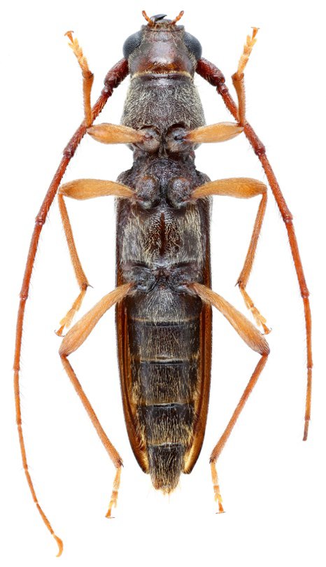
Specimen Type: holotype Sex: f Institution: MNHN Museum of Natural History Paris, France Photographer: Frédéric Robin Collection Location: Mt Tabulaire de la Reserve de la Trinite, French Guiana 90597
|
 Dalens Robin MNHN Mt Tabulaire de la Reserve de la Trinite, French Guiana.jpg)
Specimen Type: holotype Sex: f Institution: MNHN Museum of Natural History Paris, France Photographer: Frédéric Robin Collection Location: Mt Tabulaire de la Reserve de la Trinite, French Guiana 90598
|
 Dalens Robin MNHN Mt Tabulaire de la Reserve de la Trinite, French Guiana.jpg)
Specimen Type: holotype Sex: f Institution: MNHN Museum of Natural History Paris, France Photographer: Frédéric Robin Collection Location: Mt Tabulaire de la Reserve de la Trinite, French Guiana 90599
|
 Dalens coll Robin Apatou, Saint-Laurent-du-Maroni, French Guiana.jpg)
Specimen Type: paratype Sex: m Institution: Dalens Collection Photographer: Frédéric Robin Collection Location: Apatou, Saint-Laurent-du-Maroni, French Guiana 90600
|
 Dalens coll Robin Apatou, Saint-Laurent-du-Maroni, French Guiana.jpg)
Specimen Type: paratype Sex: m Institution: Dalens Collection Photographer: Frédéric Robin Collection Location: Apatou, Saint-Laurent-du-Maroni, French Guiana 90601
|
|