 Telnov Roosileht EMNH Pedernales, Manabi, Ecuador.jpg)
Specimen Type: holotype Sex: m Institution: EMNH Estonian Museum of Natural History, Tallinn, Estonia Photographer: Dmitry Telnov Collection Location: Pedernales, Manabi, Ecuador 90593
|
 Telnov Roosileht EMNH Pedernales, Manabi, Ecuador.jpg)
Specimen Type: holotype Sex: m Institution: EMNH Estonian Museum of Natural History, Tallinn, Estonia Photographer: Dmitry Telnov Collection Location: Pedernales, Manabi, Ecuador 90595
|
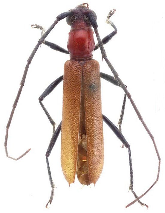
 Telnov Roosileht EMNH Pedernales, Manabi, Ecuador.jpg)
Specimen Type: paratype Sex: f Institution: EMNH Estonian Museum of Natural History, Tallinn, Estonia Photographer: Dmitry Telnov Collection Location: Pedernales, Manabi, Ecuador 90596
|
|