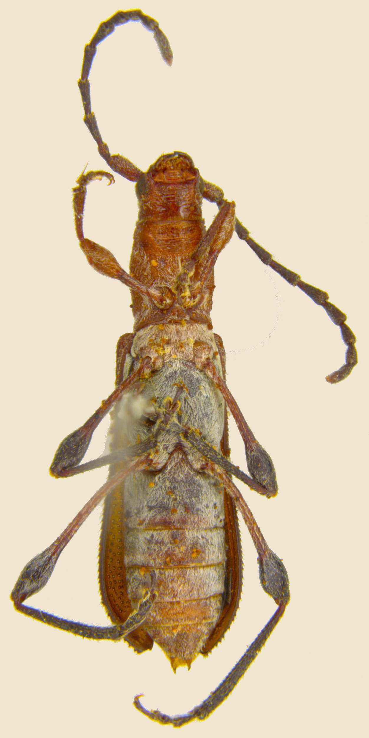
 Ferreira Mermudes CEIOC Bodoquena, Mato Grosso do Sul, Brazil Gabriel Ferreira pic2.jpg)
Specimen Type: holotype Sex: m Institution: CEIOC Coleção Entomológica do Instituto Oswaldo Cruz, Rio de Janeiro, RJ, Brazil Photographer: Gabriel Ferreira Collection Location: Bodoquena, Mato Grosso do Sul, Brazil 90578
|
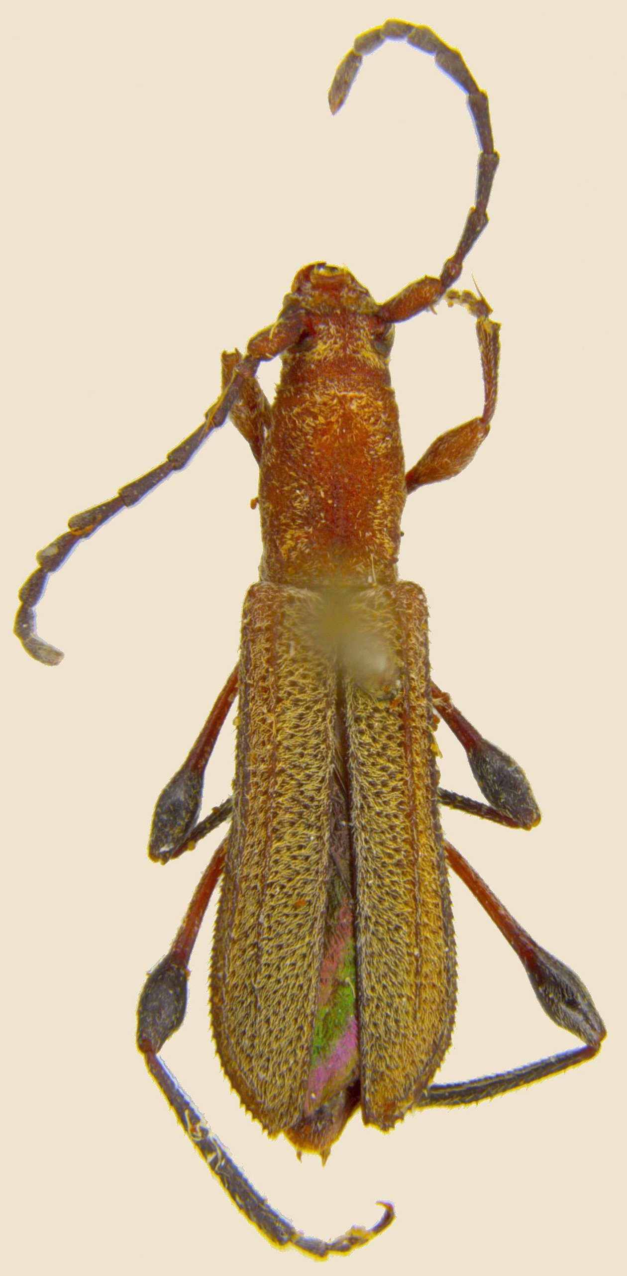
 Ferreira Mermudes CEIOC Bodoquena, Mato Grosso do Sul, Brazil Gabriel Ferreira pic2.jpg)
Specimen Type: holotype Sex: m Institution: CEIOC Coleção Entomológica do Instituto Oswaldo Cruz, Rio de Janeiro, RJ, Brazil Photographer: Gabriel Ferreira Collection Location: Bodoquena, Mato Grosso do Sul, Brazil 90579
|
 Ferreira Mermudes CEIOC Bodoquena, Mato Grosso do Sul, Brazil Gabriel Ferreira pic2.jpg)
Specimen Type: holotype Sex: m Institution: CEIOC Coleção Entomológica do Instituto Oswaldo Cruz, Rio de Janeiro, RJ, Brazil Photographer: Gabriel Ferreira Collection Location: Bodoquena, Mato Grosso do Sul, Brazil 90580
|
|