New Search Family, Subfamily and Tribe List

SubFamily Lamiinae

Tribe Agapanthiini
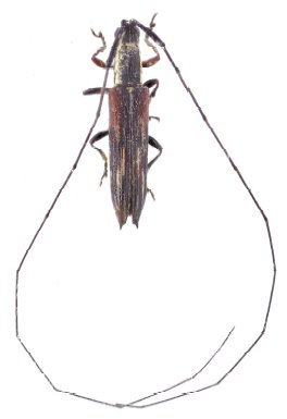
Cleptometopus pepitoi Barševskis 2023

Specimen Type: holotype
Sex: m
Institution: DUBC Daugavpils University, Coleopterological Research Center, Latvia
Photographer: Arvids Barševskis
Collection Location: Roxas, Palawan, Philippines
90505

130425