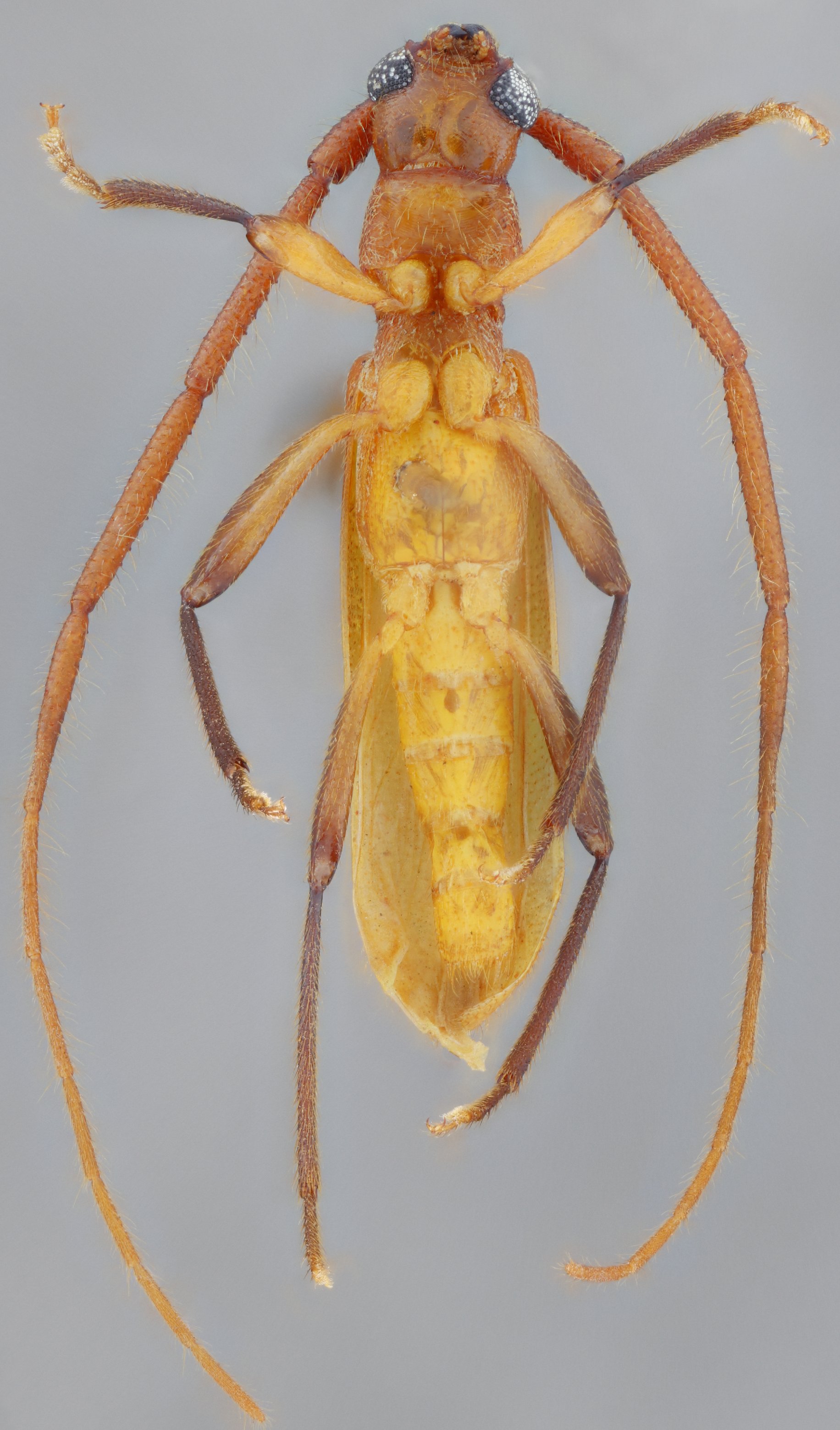
 SS Nasc Bot MZSP Itapirema, Goiana, Pernambuco, Brazil SS.jpg)
Specimen Type: holotype Sex: m Institution: MZSP Museu de Zoologia da Universidade de São Paulo, Brazil Photographer: Antonio Santos-Silva Collection Location: Itapirema, Goiana, Pernambuco, Brazil 90532
|
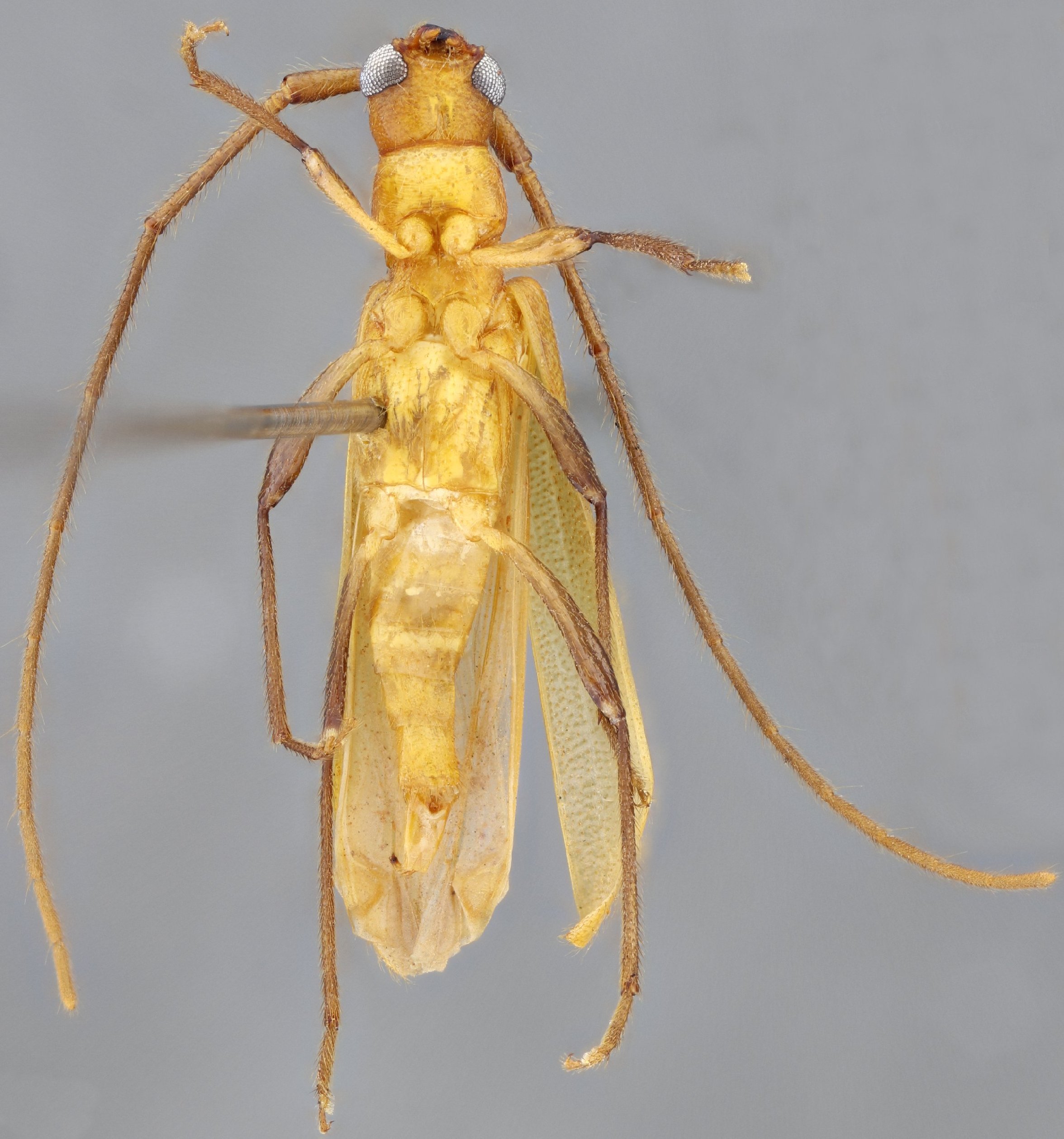
 SS Nasc Bot MZSP Itapirema, Goiana, Pernambuco, Brazil SS.jpg)
Specimen Type: holotype Sex: m Institution: MZSP Museu de Zoologia da Universidade de São Paulo, Brazil Photographer: Antonio Santos-Silva Collection Location: Itapirema, Goiana, Pernambuco, Brazil 90533
|
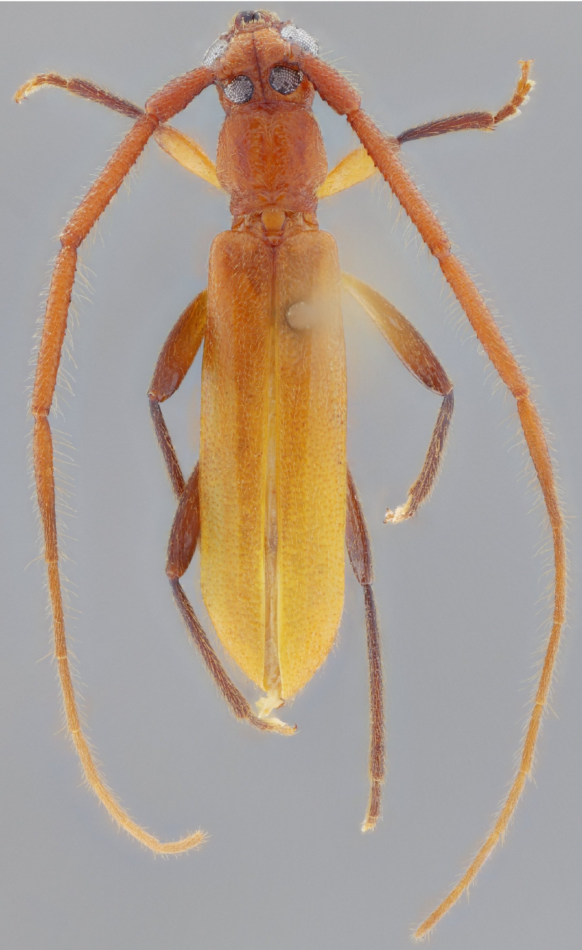
 SS Nasc Bot MZSP Itapirema, Goiana, Pernambuco, Brazil SS.jpg)
Specimen Type: holotype Sex: m Institution: MZSP Museu de Zoologia da Universidade de São Paulo, Brazil Photographer: Antonio Santos-Silva Collection Location: Itapirema, Goiana, Pernambuco, Brazil 90534
|
 SS Nasc Bot MZSP Itapirema, Goiana, Pernambuco, Brazil SS.jpg)
Specimen Type: holotype Sex: m Institution: MZSP Museu de Zoologia da Universidade de São Paulo, Brazil Photographer: Antonio Santos-Silva Collection Location: Itapirema, Goiana, Pernambuco, Brazil 90535
|
 SS Nasc Bot MZSP Itapirema, Goiana, Pernambuco, Brazil SS.jpg)
Specimen Type: paratype Sex: f Institution: MZSP Museu de Zoologia da Universidade de São Paulo, Brazil Photographer: Antonio Santos-Silva Collection Location: Itapirema, Goiana, Pernambuco, Brazil 90536
|
 SS Nasc Bot MZSP Itapirema, Goiana, Pernambuco, Brazil SS.jpg)
Specimen Type: paratype Sex: f Institution: MZSP Museu de Zoologia da Universidade de São Paulo, Brazil Photographer: Antonio Santos-Silva Collection Location: Itapirema, Goiana, Pernambuco, Brazil 90537
|
|