 Vives Coll Dalat, Lam Dong Province, Vietnam.jpg)
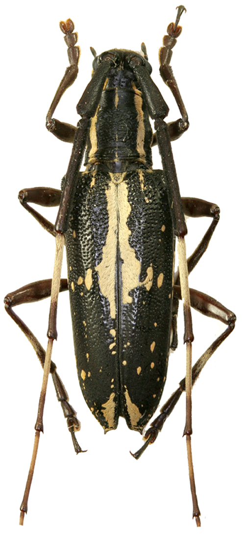
Specimen Type: holotype Sex: m Institution: Vives Collection Photographer: Eduard Vives Collection Location: Dalat, Lam Dong Province, Vietnam 90433
|

Specimen Type: topotype Sex: m Institution: LGBC Larry G. Bezark Collection, Sacramento, California, USA Photographer: Larry G. Bezark Collection Location: Kon Tum Province, Vietnam 90432
|