New Search Family, Subfamily and Tribe List

SubFamily Cerambycinae

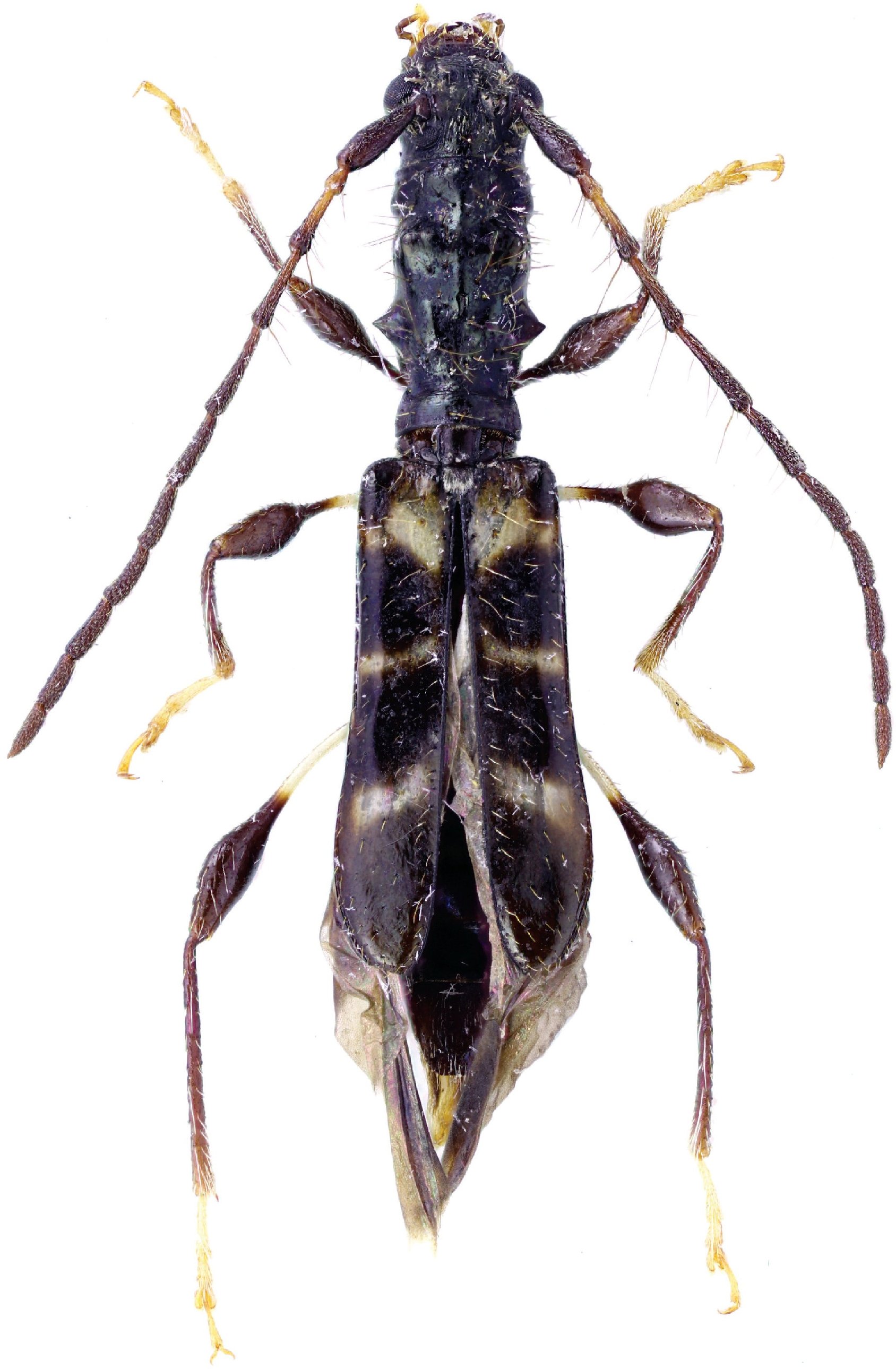
Tribe Cleomenini
Procleomenes medinai Barševskis 2022

Specimen Type: holotype
Sex: f
Institution: DUBC Daugavpils University, Coleopterological Research Center, Latvia
Photographer: Alexsander Anichtchenko
Collection Location: Dayao Shan Mt, Guangxi, China
90406

130425